◆グラファーレ 鎌ヶ谷市南初富2丁目 22期 新築一戸建て 全13棟

新築仲介一戸建て
所在地 千葉県鎌ケ谷市南初富2丁目
交通
  • 東武野田線「新鎌ケ谷」駅 徒歩23分
  • 京成松戸線「初富」駅 徒歩13分
  • 価格 3490万円~3790万円
    資料請求する無料 見学予約する無料

    ※LIFULL HOME'Sの資料請求ページに移動します

    お気に入りに追加
    • 物件情報
    • 地図・周辺情報
    • 間取り 4LDK
      土地面積 120.07m2~124.11m2
      建物面積 95.43m2~99.37m2
      建物階 木造 2階建 
      完成時期
      • 2025年11月、2025年10月
    • 【現地外観写真】◆1号棟◆~Exterior~ 角地により陽当り・風通し良好!一戸建ての大きなメリットは、自分達の「土地」を「自由に」使える事です。ガーデニングやDIY,車やバイクの趣味など様々な用途で利用できます。
    • 【前面道路含む現地写真】~Exterior~ 前面道路:南東 13.26m 公道、南西 5m 公道 低層の一戸建てを中心とした街並みが整然と続き、周辺は高い建物が建っていないので、緑の多い閑静な趣を感じる環境です。
    • 【駐車場】◆1号棟◆~Parking~ 駐車場2台置けます!(車種による)自転車置き場や物置場として、お子様の遊ぶスペースとして、ゆとりある敷地だからこそ可能な多用途にご利用いただけるスペースです。
    • 【玄関】◆1号棟◆大切な家族、来客を出迎える玄関。
    • 【その他現地】◆1号棟◆外水栓があると、庭のお手入れやちょっとした手洗い・洗車に便利です!
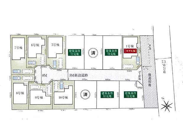
    • 【区画図】~Plot map~ 図面と異なる場合は現況を優先
    • ◆1号棟◆~Living~ 家族の食事や団らんのほか、子どもを遊ばせたり、友人を招いたりするLDKは住まいの中心。長時間過ごす場所だから、その空間は住まい全体の居心地を左右します。  ※家具はCGです
    • 【4LDK】◆13号棟◆~Floor plan~ 図面と異なる場合は現況を優先
    • 【4LDK】◆1号棟◆~Floor plan~ 図面と異なる場合は現況を優先
    • 【4LDK】図面と異なる場合は現況を優先
    • 【その他設備(スライド収納)】◆1号棟◆使いやすさを優先したスライド式収納タイプ!
    • 【冷暖房・空調設備(浴室換気乾燥機リモコン)】◆1号棟◆浴室涼風暖房換気乾燥機付きなので、お天気が悪い日のお洗濯も安心!
    • 【その他設備(リビング収納)】◆1号棟◆リビング収納。ここに収納があると物が集まるLDKがスッキリ片付きそうですね。
    • 【その他設備(Siセンサーコンロ)】◆1号棟◆ガスコンロはSiセンサー搭載。火力調節や焦げ付き・消し忘れも防いでくれます。
    • 【その他設備(レンジフード)】◆1号棟◆基本的なお手入れはフィルターのみ!お手入れのしやすさも魅力です。
    • 【その他設備(浄水器)】◆1号棟◆いつでも清潔なおいしいお水を。一つの水栓で水道水と浄水を使い分け。
    • 【その他設備(床下収納)】◆1号棟◆床下収納付き!日用品・非常用品の収納にも大活躍。
    • 【その他設備(三面鏡裏収納)】◆1号棟◆三面鏡の裏に、化粧品や衛生用品などを収納可能。洗面台をすっきりと保ちます!
    • 【その他設備(シューズボックス)】◆1号棟◆たっぷり収納できるシューズボックスで家族全員の靴も、玄関すっきり。
    • 【ダイニングキッチン】◆1号棟◆~Kitchen~ 自然光が入る窓のあるキッチン☆毎日使う場所だからこそ、使い勝手を考慮しました。ゆったりとしたキッチンコーナーは質感豊かな仕上がりとなっております。
    • 【寝室】◆1号棟◆~Bed Room~ 2面採光を確保した明るい室内は、風通しも良く、大変居心地の良い空間となっております。爽やかな風を感じて起きる朝は、快適生活の始まりに!日当たりや通風がとても良い住まい♪
    • 【浴室】◆1号棟◆~Bath Room~ 窓付きのバスルームは、採光もあり明るく気持ちの良い空間です。窓があることで、換気環境も良好。ゆったり寛げるバスルームで、毎日のバスタイムが楽しみになりそうです。
    • 【洗面台・洗面所】ゆとりの洗面スペースで朝の身支度もスムーズに
    • 【バルコニー】◆1号棟◆~Balcony~ 南側に設置されたワイドバルコニー。心地よい陽射しや暖かな風を楽しむことが出来ます。晴れた日にはたっぷりの洗濯物や布団を干せます!使いやすく開放的なバルコニーです♪
    • 【玄関】◆1号棟◆~Entrance~ 家の中でお客様を迎える最初の場所である玄関は、家の印象そのものです!たっぷり収納の下駄箱・SIC付きで、常に綺麗に保つことが出来ます♪
    • 東武鉄道「新鎌ヶ谷」駅(約1,840m)
    • 鎌ケ谷市立五本松小学校(約480m)
    • 鎌ケ谷市立第五中学校(約1,440m)
    • 南初富保育園(約550m)
    • 秋元病院(約1,050m)
    • ヨークフーズ鎌ヶ谷店(約1,100m)
    • ◆1号棟◆~Living~ 飽きの来ないシンプルでおしゃれなLDK。大きな窓から日差しが差し込むので室内も明るく、家族の憩いの場としてピッタリです。開放感と日当たりの良さを是非ご覧ください!
    • ◆1号棟◆~Kitchen~ 広くて使いやすいキッチンなら家族でいっしょに料理をつくったり、後片付けも手間なくできちゃいます♪収納もたっぷりあるので、いつもすっきりと清潔な印象を保てます。
    • ◆1号棟◆~Bed Room~  「今日も一日お疲れ様」とご夫婦でゆったりくつろげるWIC付きの寝室。  毎日の家事やお仕事に疲れた日はフカフカのベットで癒されてください。快適な広さが自慢♪
    • 案内図
    • ◆1号棟◆~Exterior~ 周辺には学校や買物施設もあり生活、子育てに適した環境が広がっています!「永住地」として、物件のご見学だけではなく、周辺の環境や通学できる学校についてもご相談ください!
    • ◆1号棟◆~Floor plan~ 図面と異なる場合は現況を優先

    住みやすさ

    新鎌ケ谷の住みやすさの採点分布

         
    ココが住みやすい!
    • 鎌ケ谷の梨は美味しい!! 梨園の軒先で家庭向けの梨を買えます。 カブトムシをもらえることもあります。 駅前にショッピン…
    • 北総線、東武アーバンパークライン線、新京成電鉄の三路線が利用でき、都心までのアクセスが良いことに加え、駅周辺には大型ショッピ…
    • 都会過ぎす、田舎すぎない所がいい。 かつ新鎌ヶ谷駅は線が電車が3本も通ってるし、すごい便利。 コンビニも飲食店も色ん…
    ※住みやすさに関する評点は、単純平均ではなく当社独自の集計方法を加え算出しています。
    お気に入りに追加 この物件の資料請求無料 見学予約する無料

    ※LIFULL HOME'Sの資料請求ページに移動します

    販売スケジュール

    販売中

    販売概要

    販売戸数 3戸 最多価格帯 3400万円台1戸 3700万円台1戸 3500万円台1戸 他
    販売価格 3490万円~3790万円
    土地面積 120.07m2~124.11m2
    建物面積 95.43m2~99.37m2
    建物状況 - 建物現況 新規分譲
    土地状況 - 最適用途 -
    建築条件備考 - 構造・工法 -
    間取り 4LDK 建物階 木造 2階建 
    建ぺい率 / 容積率 建蔽率60% 容積率100%
    接道
    2号棟:南西5m /13号棟:南東13.3m 北東5m /1号棟:南東13.2m 南西5m
    駐車場・車庫
    • 2台
    完成時期
    • 2025年11月、2025年10月
    引渡し可能時期
    • 即入居可
    その他諸費用 -
    こだわり条件
    • 見学可能
    • 浴室乾燥機
    • カウンターキッチン
    • 床下収納
    • ウォークインクローゼット
    • シューズクローク
    • 和室
    • TVモニタ付インターホン
    • 低層住宅地
    • 総戸数・総区画数が10以上〜30未満
    • 設計住宅性能評価付き
    • 角地
    • 即入居可
    • オンライン相談可
    • 駐車場あり
    備考
    • 物件種目:戸建
    • 主たる設備概要:都市ガス/公営水道/公共下水
    • 国土法:届出不要
    • 建築確認番号:第HPA-25-08474-1号
    • 売主:-
    • 都市計画:市街化区域
    • 備考欄:MEマイホーム計画京葉へお問合せ頂きましたお客様の特典

      ★送迎サービス★
      MEマイホーム計画京葉の取り扱いエリアは広範囲に渡って行っております。
      交通費やガソリン代がかかってしまう・・・そんな悩みもMEマイホーム計画京葉ではご自宅や
      勤務先、ご指定の場所までスタッフがお迎えに上がります。
      小さなお子様をお連れのお客様にはチャイルドシートのご準備もございますのでご遠
      慮なくお申し付けくださいませ。
      是非、無料送迎サービスをご利用下さいませ。

      ★住宅ローンのご相談★
      MEマイホーム計画京葉では30行以上の銀行との取引があります。
      都市銀行・地方銀行・信用金庫・フラット35等、お客様のライフプランにあった住宅
      ローンのご提案をさせて頂けます。
      自分達がどのくらい住宅ローンを組めるのか?また、月々の支払はどの程度なら難な
      く支払っていく事が出来るのか?
      資金計画を細かくご説明させていただきます。
      当然ご相談は無料ですので、スタッフにお申し付け下さいませ。

      ★金利優遇★
      MEグループは金融機関から「A(優良企業)」と評価されています。
      財務基盤が強固な事は不動産企業を見定める上で、実は最も重要な事です。
      お客様に対し余裕を持った対応が可能となり、安心と信用をご提供出来ます。
      金利優遇も案件数が多い為、通常個人で持ち込んで審査を出すよりも金利優遇を有利
      な条件で受けられご利用出来ます。

      ★ファイナンシャルプランナー無料相談★
      自分達が今、お家を買っても問題ないのか?もうちょっと資金を貯めてから購入した
      方が良いのか?
      また自分達の年収からどの程度の金額の物件を購入する事がいいのか?
      老後にかかるお金はいくらなのか?家族構成や趣味、旅行に行く頻度等、これは人に
      よってそれぞれです。
      詳しくお話をお伺いしながらファイナンシャルプランナーが無料でご相談を承りま
      す。
      要予約制になっておりますのでご希望のお客様はご遠慮なく担当スタッフまでお申し
      付け下さいませ。

      ★引越業者提携サービス★
      弊社では大手引越企業と業務提携を行っております。
      通常の見積もりよりも割引を受けられ、お安く引越をする事が可能です。
      少しでも安く済ませたいのは誰でも同じです。
      是非、ご利用ください。

      ★リフォーム相談★
      中古物件を購入されるお客様はもちろん中を気持ちよく使いたい。
      しかしながらリフォームって結構お金かかるし・・・と悩みの相談を多々受けます。
      MEグループではグループ内にオプション会社・リフォーム会社もございますので安
      心して任せられます。

      全て、MEグループでお家の事はまかなえます。
      お気軽にお問い合わせください。
    関連サイト -

    全体概要

    所在地 千葉県鎌ケ谷市南初富2丁目
    交通
    • 東武野田線「新鎌ケ谷」駅 徒歩23分
    • 京成松戸線「初富」駅 徒歩13分
    • 東武野田線「鎌ケ谷」駅 徒歩25分
    土地の権利 所有権
    総戸数 13戸
    私道負担 - 用途地域 第一種低層住居専用地域
    地目 山林 施工会社 -
    情報掲載開始日 2025年11月21日 情報更新日 2026年2月7日
    取引条件有効期限 2026年2月10日 次回更新予定日 2026年2月21日

    ローンシミュレーション

    頭金、借入期間、金利から毎月の住宅ローンお支払い額の目安を試算します。ご希望の条件に変更してご利用ください。

    物件価格の初期値は最低値を設定しております。実際にローン契約をする際は、詳細を不動産会社にご確認ください。

    万円
    万円
    %

    ※頭金や金利、借入期間によって支払う金額は変わります。

    ※物件購入時には、物件価格の他に諸費用がかかります。

    =
    月々のお支払い目安
    元金
    万円/月
    金利
    万円/月
    お支払い目安
    万円/月

    お問い合わせ

    ご覧いただいている物件の住宅ローンや実際にかかる諸費用、資金計画などのご相談ができます。

    不動産会社へのお問い合わせ

    MEマイホーム計画京葉株式会社

    この物件のアピールポイント

    本日もご見学可能です! お気軽にどうぞ♪ ご希望日時を担当者にお伝え下さいませ☆ 物件最新情報はスタッフに何でもお尋ね下さい♪ 住まい探しなら、MEマイホーム計画京葉にお任せ下さい! 内覧予約をして周辺環境も含め、実際に物件を見に行ってみるのがオススメです♪ 「この物件気になる!」「ここってどんな所?」「もっと詳しく知りたい!」と思ったら何でもお問い合わせ下さい☆

    この物件の価格

    3490万円~3790万円

    • 会社名:MEマイホーム計画京葉株式会社
    • 住所:千葉県船橋市新高根1-1-10
    • 電話:0120-000-973
    • 取引態様:MEマイホーム計画京葉株式会社 (仲介)
    • 免許番号:千葉県知事 (1) 第 17847 号
    • 不動産団体名:(公社)全日本不動産協会千葉県本部
    • 売主:-
    • 売主免許番号:(05)第005963号
    • 関連サイト:-
    資料請求する無料 見学予約する無料

    ※LIFULL HOME'Sの資料請求ページに移動します

    他の物件も見てみる

    条件が似た物件
    • 外観
    • 間取り

    最近見た物件
    • 外観
    • 間取り

    • 完成後1年を経過している未入居物件が掲載されている場合があります。
    • 販売住戸が複数の物件は、全ての住戸に該当しない項目もあります。各問い合わせ先にご確認ください。
    • 「建築条件付き土地」とは、一定期間内(概ね3ヶ月程度)に特定の建設会社と建築請負契約を結ぶことを 条件にしている宅地のことです。
    • 建物の内容は、土地購入者の自由意思により決定可能で、土地売買契約後、 建築請負会社と購入した土地に建設する建物について協議することになります。
    • 期間内に建築請負契約が成立しなければ売買契約は白紙となり、支払済みの金銭はすべて返却されます。
    • 「建築条件付き土地」の価格には、建物価格は含まれません。
    • 「建築条件付き土地」の「建物プラン例」は、土地購入者の設計プランの一例であり、プランの採用可否は任意です。
    • 「土地(建築条件なし)」の「建物プラン例」に関して、そのプラン例は特定の建築請負会社によるもので、当該建築請負会社以外で建てた場合、同様のものが同価格で建てられるとは限りません。また、建築請負会社を特定するものではありません。
    • 消費税および地方消費税の対象となる場合は税込み価格が表示されています。
    • 物件の写真やイラスト、CGなどは実際と異なる場合があります。
    • 市区町村の合併などにより、地図が表示されない場合があります。ご了承ください。
    • お客様が入力する個人情報を含むお問い合わせデータは、LIFULL HOME'Sを経由して当該物件情報の取扱会社に転送されます。
    • 不動産購入の検討、契約にあたってはお客様ご自身が情報を確認し、各会社より十分な説明を受け判断してください。
    • 本ページの掲載内容は変更される場合があります。あらかじめご了承ください。
    ページトップへ