飯田グループホールディングス GRAFARE さいたま市三室26期

新築仲介一戸建て
所在地 埼玉県さいたま市緑区大字三室
交通
  • JR京浜東北・根岸線「与野」駅 車3.3km
  • JR京浜東北・根岸線「さいたま新都心」駅 車4km
  • 価格 3580万円
    資料請求する無料 見学予約する無料

    ※LIFULL HOME'Sの資料請求ページに移動します

    お気に入りに追加
    • 物件情報
    • 地図・周辺情報
    • 間取り 4LDK
      土地面積 142.35m2
      建物面積 99.77m2
      建物階 木造2階建
      完成時期
      • 2026年3月中旬
    • 【現地外観写真】今から見たい!大歓迎です♪ お気軽にホームトレードセンターまでお問い合わせください。 近隣の物件も併せてご紹介することも可能です。※イメージ画像は実際とは異なる場合があります。
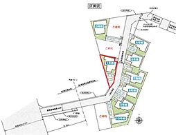
    • 【全体区画図】カースペース2台分ございますので、家族分の自転車を駐輪したり、来客用の駐車スペースとしてもお使いいただけます♪スーパー、コンビニなども徒歩圏内にあり便利です!
    • 今から見たい!大歓迎です♪ お気軽にホームトレードセンターまでお問い合わせください。 近隣の物件も併せてご紹介することも可能です。※イメージ画像は実際とは異なる場合があります。
    • 【4LDK】リビング隣接に3帖の和洋室があるので扉を開けると開放感ありお子様の遊び場や客間にぴったりです!2F主寝室には収納力豊富なWICを設置♪洋服や小物類など、目的に応じてすっきり美しい収納を実現します♪
    • 【【耐震・免震・制震】】新耐震の震度6~7の揺れを想定した実験でも倒壊しない、快適で地震に強い安心できる家です。一生住む家だから構造にも環境にもこだわりを。
    • 【【敷地内駐車場】】目の届きやすい場所に駐車場があるので安心感があります。また、荷物をたくさん持った状態でも車を降りてすぐ建物内に入ることができ、子どもを持つファミリー世帯にもおすすめです。
    • 【【太陽光発電】】電気料金の節約に繋がるだけでなく、夏場は屋根の直射日光による温度上昇を抑制することで室内が涼しくなります♪※別途費用がかかる場合がございます。
    • 【【浴室換気乾燥機】】雨の日や冬場のお洗濯に嬉しい装備。洗濯物を乾かすだけでなく、入浴の度に換気機能で湿気を排出できるためカビの防止にもなります。
    • 【【TVモニター付きインターホン】】録画機能もあり、どのような人が何時に来訪されたのかが分かります。防犯上はもちろん、お届け物などの把握にも便利です。ライトが付いているので、夜間でも安心です。
    • 【【浴室に窓】】窓付きのバスルームは、採光もあり明るく気持ちの良い空間です。窓があることで、換気環境も良好。掃除もスムーズに出来ます。
    • 【ベタ基礎は「鉄筋コンクリート造」】耐震性を発揮する鉄筋入りスラブー体基礎を採用。地面から基礎上端までの高さを400mm以上確保。地面からの湿気を防ぎ、不等沈下や地震時のねじれを防ぐ効果があり、白蟻に対する予防策としても有効です。
    • 【防湿措置「基礎パッキン」】基礎と土台の間に基礎パッキン(20mm厚)を入れることにより分離させ、土台からの湿気を基礎へ浸透するのを防ぎます。また、床下換気が可能です。
    • 【オリジナル柱脚・柱頭固定金物「TロックII」】「TロックII」は、ホールダウン金物の約2倍の強度があり、接合部の強度を増加させ、地震や風圧がかかった場合の柱の抜けを防ぎます。
    • 【洋室】※家具はCG合成しております。
    • マミーマート三室山崎店(約550m)
    • セブンイレブンさいたま山崎店(約400m)
    • コクーンシティ(約3,800m)
    • さいたま市立病院(約1,000m)
    • さいたま市立大東小学校(約1,100m)
    • さいたま市立三室中学校(約1,700m)
    • ≪コクーンシティ≫まで車で8分♪
スーパー、衣料品店、家具店、飲食店などが立ち並ぶ商業施設。
毎日のお買物はもちろん、休日の外食など生活が一層便利ですね♪
    • ☆Living Room☆
広くて明るいLDK♪心地の良い光が全体を包みます! また、くつろげるリビングが広く確保されているため、ご家族皆様の笑顔が溢れます。※家具はCG合成しております。
    • 【太陽光発電】
電気料金の節約に繋がるだけでなく、夏場は屋根の直射日光による温度上昇を抑制することで室内が涼しくなります♪※別途費用がかかる場合がございます。
    • カースペース2台分ございますので、家族分の自転車を駐輪したり、来客用の駐車スペースとしてもお使いいただけます♪スーパー、コンビニなども徒歩圏内にあり便利です!
    • (1号棟)、価格3880万円、4LDK、土地面積142.35m2、建物面積99.77m2

    住みやすさ

    与野の住みやすさの採点分布

         
    ココが住みやすい!
    • 県外から来られる方にはオススメです。県外から来た人が多く、変な地元感を押し付けられることなく、ちょうど良い距離感なのでとても…
    • 大宮、さいたま新都心が近いため買い物等はしやすい。また、さいたま新都心では定期的なイベントも開催されているため楽しめる。
    • 駅周辺は住宅地で、お店の数は少ないですが、閑静な住宅街ですので落ち着いて生活できます。車があれば周辺に大きなモールがいくつも…
    ※住みやすさに関する評点は、単純平均ではなく当社独自の集計方法を加え算出しています。
    お気に入りに追加 この物件の資料請求無料 見学予約する無料

    ※LIFULL HOME'Sの資料請求ページに移動します

    販売スケジュール

    販売中

    販売概要

    販売戸数 1戸 最多価格帯 -
    販売価格 3580万円
    土地面積 142.35m2
    建物面積 99.77m2
    建物状況 - 建物現況 新規分譲
    土地状況 - 最適用途 -
    建築条件備考 - 構造・工法 -
    間取り 4LDK 建物階 木造2階建
    建ぺい率 / 容積率 建ぺい率60%、容積率200%
    接道
    道路幅:1.8m、アスファルト舗装、南側:1.84m公道(セットバック後2.97m)
    駐車場・車庫
    • 2台
    完成時期
    • 2026年3月中旬
    引渡し可能時期
    • 相談
    その他諸費用 -
    こだわり条件
    • 瑕疵担保付き
    • 見学可能
    • マイホーム発電システム
    • 浴室乾燥機
    • カウンターキッチン
    • 床下収納
    • ウォークインクローゼット
    • シューズクローク
    • バリアフリー
    • 和室
    • TVモニタ付インターホン
    • 設計住宅性能評価付き
    • 南道路
    • オンライン相談可
    • 駐車場あり
    備考
    • 物件種目:戸建
    • 主たる設備概要:公営水道・個別プロパンガス・本下水
    • 建築確認番号:第HPA-25-14220-1号
    • 備考欄:【イベント情報】
      現地見学会(事前に必ずお問い合わせください)
      日程/毎週土日祝
      ◇ご見学希望は≪見学予約(無料)≫ボタンから予約可能です◇
      当日見学希望の際は、お電話でもお気軽にご連絡下さい♪

      ※平日も見学会を開催しております♪お気軽にお問合せ下さい♪

      ~~~~~◇◆ 現地見学ツアー開催!◆◇~~~~~

      飯田グループホールディングス唯一の販売会社である
      ホームトレードセンターの社員が物件のご案内をさせて頂きます。

             【内容(所要時間)】

      (1) さくっと見学コース   (30分~)
      (2) じっくり見学コース   (60分~)
      (3) 納得見学コース     (90分~)
      (4) まずは住宅ローン相談  (20分~)

      上記(1)~(4)の中でお好きな番号をお教え下さい!

      最寄り駅へのお迎えなど、ご要望に応じて送迎も可能でございます。
      当日担当をさせていただくスタッフとお打ち合わせいただき、スムーズな
      ご見学ができますよう調整させていただきます♪

      ※ファイナンシャルプランナーによる無料相談も開催中♪
      毎月のお支払プランや今後のお支払プランなど、複数の提携ローンの中からお客様の
      ご希望に合わせて、不動産のプロがご提案をさせていただきます。

      ◇ご見学希望は≪見学予約(無料)≫ボタンから予約可能です◇
      当日見学希望の際は、電話ボタン(青色)からお気軽にご連絡下さい♪
      平日やお仕事前・後のご見学もお待ちしております♪

      飯田グループホールディングス独自の物件管理・検索のシステムを使い、
      新着情報等、お客様の要望に近い条件の物件をご紹介させていただきます♪

      豊富な販売実績からお客様にとって最適で安心な
      住まい探しをご提案させていただきます。お気軽にお問い合わせ下さい♪

      ◇◆◇◆◇◆◇◆◇◆◇◆◇◆◇◆◇◆◇◆◇◆◇◆
    関連サイト -

    全体概要

    所在地 埼玉県さいたま市緑区大字三室
    交通
    • JR京浜東北・根岸線「与野」駅 車3.3km
    • JR京浜東北・根岸線「さいたま新都心」駅 車4km
    • JR京浜東北・根岸線「北浦和」駅 車4.6km
    土地の権利 所有権
    総戸数 1戸
    私道負担 - 用途地域 第一種住居地域
    地目 宅地 施工会社 -
    情報掲載開始日 2026年3月23日 情報更新日 2026年5月4日
    取引条件有効期限 2026年6月15日 次回更新予定日 随時

    ローンシミュレーション

    頭金、借入期間、金利から毎月の住宅ローンお支払い額の目安を試算します。ご希望の条件に変更してご利用ください。

    物件価格の初期値は最低値を設定しております。実際にローン契約をする際は、詳細を不動産会社にご確認ください。

    万円
    万円
    %

    ※頭金や金利、借入期間によって支払う金額は変わります。

    ※物件購入時には、物件価格の他に諸費用がかかります。

    =
    月々のお支払い目安
    元金
    万円/月
    金利
    万円/月
    お支払い目安
    万円/月

    お問い合わせ

    ご覧いただいている物件の住宅ローンや実際にかかる諸費用、資金計画などのご相談ができます。

    不動産会社へのお問い合わせ

    飯田グループホールディングス ホームトレードセンター(株)浦和営業所

    この物件のアピールポイント

    <本日見学OK>太陽光パネル搭載!2階建て&4LDK&カースペース2台完備! ○周辺環境充実! ・大東小学校 徒歩14分・三室中学校 徒歩22分・三室保育園 徒歩3分 ・マミーマート 徒歩7分・セブン-イレブン 徒歩5分・ドラッグストアセキ 徒歩13分 ○快適な充実設備! ・お手入れスムーズ・収納力豊富なシステムキッチン ・大容量ウォークインクローゼットで空間がすっきり! ・浴室乾燥機完備で雨の日や花粉の時期のお洗濯も快適

    この物件の価格

    3580万円

    • 会社名:ホームトレードセンター株式会社 浦和営業所
    • 住所:埼玉県さいたま市桜区西堀8丁目21-35
    • 電話:0120-9-1388
      ※物件のお問い合わせは048-740-8688
    • 取引態様:<仲介>飯田グループホールディングス ホームトレードセンター(株)浦和営業所
    • 免許番号:国土交通大臣 (3) 第 8044 号
    • 不動産団体名:(公社)埼玉県宅地建物取引業協会
    • 売主:-
    • 売主免許番号:-
    • 関連サイト:-
    資料請求する無料 見学予約する無料

    ※LIFULL HOME'Sの資料請求ページに移動します

    他の物件も見てみる

    条件が似た物件
    • 外観
    • 間取り

    • 完成後1年を経過している未入居物件が掲載されている場合があります。
    • 販売住戸が複数の物件は、全ての住戸に該当しない項目もあります。各問い合わせ先にご確認ください。
    • 「建築条件付き土地」とは、一定期間内(概ね3ヶ月程度)に特定の建設会社と建築請負契約を結ぶことを 条件にしている宅地のことです。
    • 建物の内容は、土地購入者の自由意思により決定可能で、土地売買契約後、 建築請負会社と購入した土地に建設する建物について協議することになります。
    • 期間内に建築請負契約が成立しなければ売買契約は白紙となり、支払済みの金銭はすべて返却されます。
    • 「建築条件付き土地」の価格には、建物価格は含まれません。
    • 「建築条件付き土地」の「建物プラン例」は、土地購入者の設計プランの一例であり、プランの採用可否は任意です。
    • 「土地(建築条件なし)」の「建物プラン例」に関して、そのプラン例は特定の建築請負会社によるもので、当該建築請負会社以外で建てた場合、同様のものが同価格で建てられるとは限りません。また、建築請負会社を特定するものではありません。
    • 消費税および地方消費税の対象となる場合は税込み価格が表示されています。
    • 物件の写真やイラスト、CGなどは実際と異なる場合があります。
    • 市区町村の合併などにより、地図が表示されない場合があります。ご了承ください。
    • お客様が入力する個人情報を含むお問い合わせデータは、LIFULL HOME'Sを経由して当該物件情報の取扱会社に転送されます。
    • 不動産購入の検討、契約にあたってはお客様ご自身が情報を確認し、各会社より十分な説明を受け判断してください。
    • 本ページの掲載内容は変更される場合があります。あらかじめご了承ください。
    ページトップへ