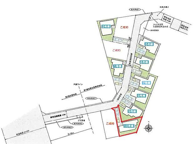
さいたま市緑区三室 全11棟 10号棟

新築仲介一戸建て
所在地 埼玉県さいたま市緑区大字三室
交通
  • JR京浜東北・根岸線「北浦和」駅まで バス 14分 バス停「山崎」まで 徒歩 4分
  • JR京浜東北・根岸線「さいたま新都心」駅まで バス 17分 バス停「JR社員寮前」まで 徒歩 5分
  • 価格 3,590万円
    • 物件情報
    • 地図・周辺情報
    • 間取り 4LDK
      土地面積 128.00m2
      建物面積 100.19m2
      建物階 地上2階
      完成時期
      • 2026年 8月
    • 区画図
    • 間取り
    • 食器洗いのわずらわしさから開放してくれる嬉しい設備。後片付けの手間を減らし奥様の時間を有効活用できます。お湯と洗剤を使う機会が少なくなるため、手荒れ防止にも。
    • 【24時間換気システム】 家じゅうの空気が入れ替わるよう、ファンなどの器械を使って2時間に1回計画換気。24時間、常に新鮮な空気を維持するためのシステムです。
    • 【TVモニター付インターホン】 来訪者の様子を室内TVモニターでチェック。対応したくないセールスを断りやすく、子どもに留守番をさせるときも安心。不在時の来訪者を録画でき、犯罪抑止効果も期待できます。
    • 毎日使うトイレだから、使い勝手の良い機能があるとうれしいですね。
    • 予期せぬ火事。火災警報器で助かる命があります。火災は決して他人事ではなく、どこの家庭でも起こり得ることです。万が一の時でも、火災警報器が、いち早く火災を知らせてくれます。
    • 一つの蛇口で原水・シャワー・浄水を切り替えられる、浄水器。
    • 全身浴と半身浴ができる高い機能性と、満水容量を削減。デザインとエコ性能を両立
    • 【浴室乾燥機】 冬場にはヒヤッとしないように暖房機能、梅雨の時期には乾燥等、機能的で清潔感溢れる浴室。快適・清潔な空間で心も体もオフになる時間を楽しむことが可能です。
    • 浴室乾燥機があると、梅雨や花粉の時期など、洗濯物を外干しできないときにとても助かりますよね
    • 排水の勢いだけで髪の毛やゴミがまとまり、楽に捨てられます。シンプルな形状でお掃除もカンタンにできます。
    • 周辺環境-その他環境写真(13100m)ハウスネットパートナー越谷店(ハウスネットパートナー(ハウスネットパートナー(新築戸建専門店だから自慢のサービスをご提供! 諸費用が大幅に削減 物件数が豊富 低
    • 周辺環境-小学校(800m)さいたま市立大東小学校
    • 周辺環境-中学校(2290m)さいたま市立三室中学校
    • 周辺環境-幼稚園・保育園(590m)木の実幼稚園
    • 周辺環境-幼稚園・保育園(480m)くまの子倶楽部三室保育園本館
    • 周辺環境-病院(1670m)さいたま市立病院
    • 周辺環境-スーパー(540m)マミーマート 三室山崎店
    • 周辺環境-コンビニ(340m)セブン-イレブン さいたま山崎店
    • 木造住宅の壁内は耐震金物や手すりの取り付け下地などでとても入り組んだ形状をしており、その隅々まで隙間なく断熱材が入っていないと腐朽菌やカビが発生する恐れがあります。いろどりアイタウンの壁内はガラスを原
    • 大きな荷重を支える、地面に接する面積の広いベタ基礎。基礎幅150mmのベタ基礎が荷重をがっちりと受け止め。
    • 耐久性に優れたアルミと、熱が伝わりにくい樹脂を採用した複合構造樹脂を使用しています。樹脂は非常に熱を伝えにくい素材で、熱伝導率はアルミのなんと約1/1000といわれています。温度差により発生する結露を
    • 雨で汚れを浮かして洗い流す親水性の外壁材を採用しています。セルフクリーニング機能のおかげで手間をかけることなく、美しい外観をいつまでも持続することができます。
    • 空気中の水分子を取り込んで外壁表面に薄い水分子膜をつくり汚れの元となる物質を水分子膜の上に付着させます。雨が降れば汚れは雨と共に洗い流され、外壁はいつまでも美しさが持続します。
    • 壁体内部の結露が原因で構造体が腐朽するといった問題がありますが、外壁通気工法は、外壁材の裏面に空気の通り道を造ることで湿気を放出・乾燥させ、結露の防止と共に冷暖房の効率をアップさせます。
    • 従来の床下換気に変え、土台スペーサーによる換気方式を採用しています。建物全周にわたるスリット換気で床下全体をムラなく換気し、土台がコンクリートから浮くため湿気が伝わりにくく、土台の耐久性を高める上でも
    • 花粉や粉塵を98%以上カットし、24時間クリーンな空気をお部屋に取り込みます。ノンダクト方式なのでメンテナンスが簡単なことも特徴の1つです。
    • 構造用合板を直接梁に留め、柱・梁と床面を一体化させる「剛床工法」を採用しています。「剛床工法」は水平剛性を高め地震や台風時に受ける床面の”横揺れ”や”ねじれ”を抑える効果があります。
    • 木造軸組工法とは、古くから日本の木造建築で使われていた柱と梁を組み上げた伝統的な工法を発展させたものです。木の柱と梁で組み上げていき、斜めに留める「筋かい」という材を使用して接合部には金物を使い強度を

    住みやすさ

    北浦和の住みやすさの採点分布

           
    ココが住みやすい!
    • 商店街に食べ物屋さんが沢山あります。スーパーもあり住んで困る事はない場所だと思います。大きい公園もあるので緑豊か。1番は治安…
    • 西口は大きな公園ときれいな並木道があり、ファミリー層も多いので週末の公園内は賑やかですが、街自体は静かな環境。東口は埼玉県屈…
    • 大宮のような大きい駅にも近く、都内も上野東京ラインを使えば通勤時間はさほど苦にならない。大学の通学経路でもあるので、学生達が…
    ※住みやすさに関する評点は、単純平均ではなく当社独自の集計方法を加え算出しています。

    販売概要

    販売戸数 1戸 最多価格帯 -
    販売価格 3,590万円
    土地面積 128.00m2
    建物面積 100.19m2
    建物状況 新築 建物現況 未完成
    土地状況 - 最適用途 -
    建築条件備考 - 構造・工法
    • 木造
    間取り 4LDK
    間取り内訳:リビングダイニングキッチン 15.6帖・和室 5.7畳・洋室 8帖・洋室 6帖・洋室 5.7帖
    建物階 地上2階
    建ぺい率 / 容積率 50% / 100%
    接道
    接道状況:
    -
    接道詳細:
    • 北 (私道 幅員 4.00m 接面 -)
    駐車場・車庫 - 完成時期
    • 2026年 8月
    引渡し可能時期
    • 2026年8月下旬 期日指定
    その他諸費用 -
    こだわり条件
    • コンロ三口
    • 床下収納
    • TVモニタ付インターホン
    • カウンターキッチン
    • 浴室乾燥機
    • 全居室収納
    • オートバス
    • フラット35・S適合証明書
    • 建築確認完了検査済証
    • 低層住宅地
    備考
    • 物件種目:戸建
    • 主たる設備概要:-
    • 上水道:公営
    • 下水道:本下水
    • ガス・オール電化:都市ガス
    • セットバック:無
    • 国土法:不要
    • 法令上の制限その他:その他制限事項:準防火地域、高さ制限(10m)、景観法、農地法
    • 建築確認番号:第25UD1W建06744号
    • 都市計画:市街化区域
    • 敷地全体面積:128.00m2
    • 地勢:平坦
    • 備考欄:◆◆仲介手数料0円(無料)◆◆   ハウスネットパートナーの特徴→「新築戸建専門店」 「仲介手数料0円(無料)」 「県内トップクラスの金利優遇(提携銀行多数)」 「川口店・大宮店・越谷店で営業中」   通常仲介手数料っていくら? 購入物件が4000万円なら約138万円 5000万円なら約171万円  ハウスネットパートナーなら0円(無料)です。 ◆◆仲介手数料0円(無料)◆◆ 
    関連サイト -

    全体概要

    所在地 埼玉県さいたま市緑区大字三室
    交通
    • JR京浜東北・根岸線「北浦和」駅まで バス 14分 バス停「山崎」まで 徒歩 4分
    • JR京浜東北・根岸線「さいたま新都心」駅まで バス 17分 バス停「JR社員寮前」まで 徒歩 5分
    土地の権利 所有権
    総戸数 11戸
    私道負担 405m2私道負担割合:12分の1 用途地域 第一種低層住居専用地域
    地目 宅地 施工会社 -
    情報掲載開始日 2025年11月14日 情報更新日 2026年5月9日
    取引条件有効期限 2026年5月23日 次回更新予定日 -

    ローンシミュレーション

    頭金、借入期間、金利から毎月の住宅ローンお支払い額の目安を試算します。ご希望の条件に変更してご利用ください。

    物件価格の初期値は最低値を設定しております。実際にローン契約をする際は、詳細を不動産会社にご確認ください。

    万円
    万円
    %

    ※頭金や金利、借入期間によって支払う金額は変わります。

    ※物件購入時には、物件価格の他に諸費用がかかります。

    =
    月々のお支払い目安
    元金
    万円/月
    金利
    万円/月
    お支払い目安
    万円/月

    お問い合わせ

    ご覧いただいている物件の住宅ローンや実際にかかる諸費用、資金計画などのご相談ができます。

    不動産会社へのお問い合わせ

    株式会社ハウスネットパートナー 越谷店

    この物件のアピールポイント

    本日見学できます未完成物件の場合、周辺の同仕様物件をご見学いただけます 物件資料はメール又はショートメールでお送りします ローンが不安の方ご相談ください

    この物件の価格

    3,590万円

    • 会社名:株式会社ハウスネットパートナー 越谷店
    • 住所:埼玉県越谷市千間台東1丁目19−4
    • 電話:0120-07-8170
    • 交通:東武伊勢崎・大師線「せんげん台」駅まで 徒歩 3分
    • 取引態様:媒介
    • 免許番号:埼玉県知事(02)第023376号
    • 不動産団体名:(公社)首都圏不動産公正取引協議会、(公社)全日本不動産協会埼玉県本部
    • 保証協会:(公社)不動産保証協会
    • 売主:-
    • 売主免許番号:-
    • 関連サイト:-

    お電話でのお問い合わせはこちら(取り扱い不動産会社に直接つながります)

    電話をかける(携帯電話・PHSでも可)

    1電話番号を入力する

    0037-619-89753

    お問い合わせ先

    株式会社ハウスネットパートナー 越谷店

    2音声案内に従い、以下の番号を入力

    お問い合わせ番号 24935-3198

    不動産会社につながります

    不動産会社のスタッフと
    直接電話で話せます

    店舗スタッフ
    • お客様の電話番号は不動産会社に通知されません。
    • 光IP電話、及びIP電話からはご利用になれません。
    • 定休日や営業時間外にてお電話がつながらない場合は、お問い合わせフォームよりお問い合わせください。
    • 携帯電話からお問合せいただいた方には、ショートメッセージ(SMS)またはLINE通知メッセージによるお問い合わせ内容に関する通知を株式会社LIFULLよりお届けする場合があり、お客様の電話番号は株式会社LIFULLで一定期間保管されます。
    • 株式会社LIFULLの個人情報の取扱い方針に同意のうえ、お電話ください。
    • オーナー様・不動産会社様・現在ご入居中のお客様など、住まい探し以外のご相談はこちらからお問い合わせください。

    他の物件も見てみる

    最近見た物件
    • 外観
    • 間取り

    • 完成後1年を経過している未入居物件が掲載されている場合があります。
    • 販売住戸が複数の物件は、全ての住戸に該当しない項目もあります。各問い合わせ先にご確認ください。
    • 「建築条件付き土地」とは、一定期間内(概ね3ヶ月程度)に特定の建設会社と建築請負契約を結ぶことを 条件にしている宅地のことです。
    • 建物の内容は、土地購入者の自由意思により決定可能で、土地売買契約後、 建築請負会社と購入した土地に建設する建物について協議することになります。
    • 期間内に建築請負契約が成立しなければ売買契約は白紙となり、支払済みの金銭はすべて返却されます。
    • 「建築条件付き土地」の価格には、建物価格は含まれません。
    • 「建築条件付き土地」の「建物プラン例」は、土地購入者の設計プランの一例であり、プランの採用可否は任意です。
    • 「土地(建築条件なし)」の「建物プラン例」に関して、そのプラン例は特定の建築請負会社によるもので、当該建築請負会社以外で建てた場合、同様のものが同価格で建てられるとは限りません。また、建築請負会社を特定するものではありません。
    • 消費税および地方消費税の対象となる場合は税込み価格が表示されています。
    • 物件の写真やイラスト、CGなどは実際と異なる場合があります。
    • 市区町村の合併などにより、地図が表示されない場合があります。ご了承ください。
    • お客様が入力する個人情報を含むお問い合わせデータは、LIFULL HOME'Sを経由して当該物件情報の取扱会社に転送されます。
    • 不動産購入の検討、契約にあたってはお客様ご自身が情報を確認し、各会社より十分な説明を受け判断してください。
    • 本ページの掲載内容は変更される場合があります。あらかじめご了承ください。
    ページトップへ