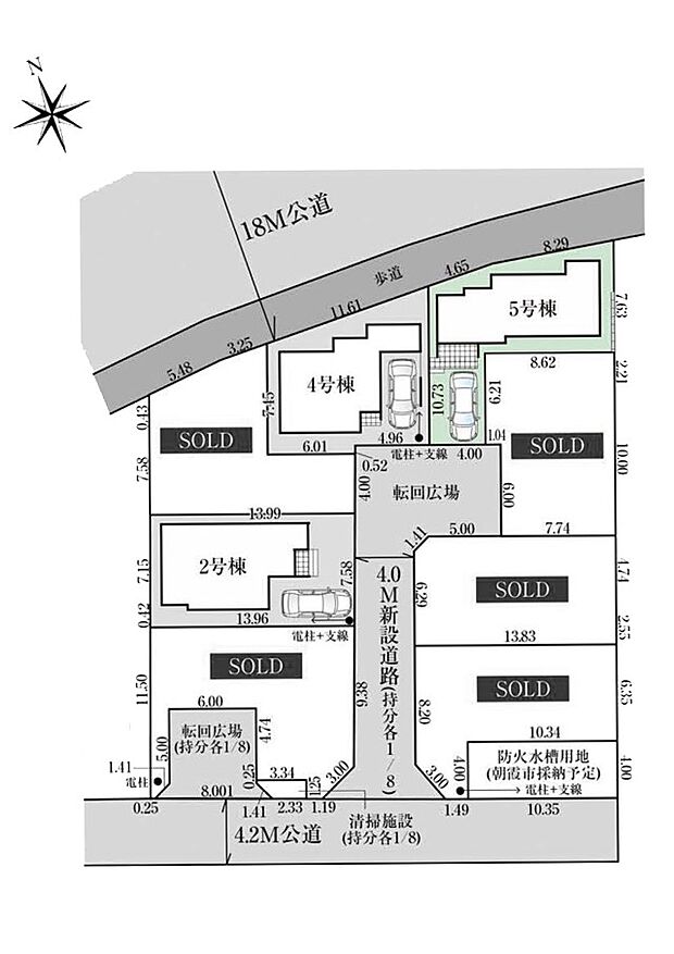
| 所在地 | 埼玉県朝霞市膝折町3丁目 |
|---|---|
| 交通 | |
| 価格 | 4,180万円 月々のお支払い目安
|

| 間取り | 4LDK |
|---|---|
| 土地面積 | 104.10m2 |
| 建物面積 | 92.32m2 |
| 建物階 | 地上2階 |
| 完成時期 |
|



















| 販売戸数 | 1戸 | 最多価格帯 | - |
|---|---|---|---|
| 販売価格 |
4,180万円 月々のお支払い目安
|
||
| 土地面積 | 104.10m2 | ||
| 建物面積 | 92.32m2 | ||
| 建物状況 | 新築 | 建物現況 | 未完成 |
| 土地状況 | - | 最適用途 | - |
| 建築条件備考 | - | 構造・工法 |
|
| 間取り | 4LDK 間取り内訳:洋室 7.3帖・洋室 5.2帖・リビングダイニングキッチン 16.2帖・洋室 6.2帖 |
建物階 | 地上2階 |
| 建ぺい率 / 容積率 | 60% / 200% | ||
| 接道 |
|
||
| 駐車場・車庫 |
|
完成時期 |
|
| 引渡し可能時期 |
|
||
| その他諸費用 | - | ||
| こだわり条件 |
|
||
| 備考 |
|
||
| 関連サイト | - | ||
| 所在地 | 埼玉県朝霞市膝折町3丁目 | ||
|---|---|---|---|
| 交通 |
|
||
| 土地の権利 | 所有権 | ||
| 総戸数 | 8戸 | ||
| 私道負担 | - | 用途地域 | 工業地域 |
| 地目 | 宅地 | 施工会社 | - |
| 情報掲載開始日 | 2025年12月22日 | 情報更新日 | 2026年3月25日 |
| 取引条件有効期限 | 2026年4月8日 | 次回更新予定日 | - |
頭金、借入期間、金利から毎月の住宅ローンお支払い額の目安を試算します。ご希望の条件に変更してご利用ください。
物件価格の初期値は最低値を設定しております。実際にローン契約をする際は、詳細を不動産会社にご確認ください。
この物件のアピールポイント
≪南西向きで陽当り良好です≫LDK16帖以上ゆとりあるお住まいですカースペース1台分ございますキッチンからリビングが見渡せる設計外水栓付きで洗車やガーデンニングも楽しめます
この物件の価格
4,180万円
1電話番号を入力する
0037-634-19360お問い合わせ先
株式会社大成住宅 本店2音声案内に従い、以下の番号を入力
お問い合わせ番号 14956-3196不動産会社のスタッフと
直接電話で話せます