大宮区天沼町2丁目

新築仲介一戸建て
所在地 埼玉県さいたま市大宮区天沼町2丁目
交通
  • JR京浜東北・根岸線「大宮」駅まで バス 8分 バス停「庚申前」まで 徒歩 5分
  • JR高崎線「さいたま新都心」駅まで 徒歩 17分
  • 価格 5,380万円
    • 物件情報
    • 地図・周辺情報
    • 間取り 2SLDK
      土地面積 61.99m2(実測)
      建物面積 98.81m2
      建物階 地上3階
      完成時期
      • 2026年 3月
    • 【2号棟 現地】第2期分譲・限定2棟の販売開始!リビング『吹き抜け』の採光と解放感あふれるリビングの2棟・『オンリーワン』のデザイン住宅
    • 【2号棟 現地】新都心の商業エリアを生活圏に閑静な住宅地
    • 【2号棟 現地】『オンリーワン』のデザイン住宅・デザイン住宅分譲の第2期 販売開始!
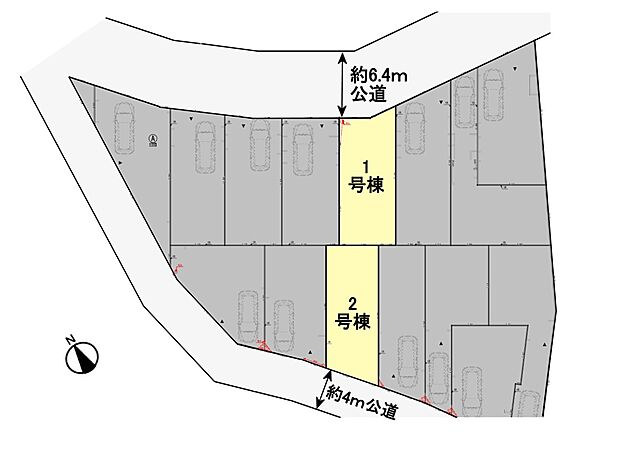
    • 【2号棟 現地】高台に位置する2号棟・車通りの少ない公道4mに接道
    • 【2号棟 間取り】LDK17.8帖・家事動線効率アップの、水回り2階集約プラン・リビング吹き抜け・主寝室7帖+ダブルクローゼット
    • 【区画図】北東と北西公道・生活環境充実した閑静な住宅地
    • 2号棟 図面と異なる場合は現況を優先
    • スーパー 850m マルエツ天沼店(・コクーンシティのお店の他にも、徒歩圏に複数スーパー)
    • その他環境写真 270m さいたまメディカルタウン(・内科や整形外科の他、複数のクリニックと薬局の入る施設)
    • スーパー 1100m ライフさいたま新都心店(・コクーンシティ内に複数あるスーパー(イトーヨーカドー・ライフ他、複数の食品販売店))
    • その他環境写真 1200m 氷川神社参道
    • 図書館 1300m 大宮区役所・市立図書館(・2019年に新庁舎と図書館を開庁・市民の交流空間を創出する「ふれあいスペース」を導入)
    • コンビニ 650m セブンイレブン浅間町店(・「開いててよかった!」おかずも充実!近くにあると嬉しいお店)
    • 駅 1300m JRさいたま新都心駅(・ショッピングやグルメも近隣に多数・スーパーアリーナ最寄りの「新都心」の名にふさわしい近代的なデザインの駅)
    • その他環境写真 2400m 氷川神社(・2400年以上の歴史をもつといわれる、日本でも指折りの古社・初詣や十日まち(12月)の賑わいも楽しみ!隣接する大宮公園は「桜」の名所)
    • ショッピングセンター 1100m コクーンシティ(・2004年の開業以降、エリアを拡大するショッピングモール・映画館MOVIX、グルメもショッピングも一日中過ごせる大型施設)
    • 【2号棟 完成予想図】スタイリッシュにデザイン性高い外観・リビングの吹き抜けや各部屋に、複数方位の採光窓を配置・オンリーワンのデザイン住宅

    住みやすさ

    大宮の住みやすさの採点分布

           
    ココが住みやすい!
    • 駅が新幹線が止まったりするため駅構内が大きく周りに商業ビルがたくさんある。また少し離れると緑が多い。 都内へ出るのに路線が…
    • 生活や娯楽がなんでもあって不便しない。映画でもいじられているように、特筆すべき観光スポットは無いが、日常生活レベルのものはな…
    • 交通のアクセスが良かったです。徒歩5分以内にバス停がありますし、大宮駅にも15分ぐらいで到着できるので、都内の通勤がとても楽…
    ※住みやすさに関する評点は、単純平均ではなく当社独自の集計方法を加え算出しています。

    販売概要

    販売戸数 1戸 最多価格帯 -
    販売価格 5,380万円
    土地面積 61.99m2(実測)
    建物面積 98.81m2
    建物状況 新築 建物現況 未完成
    土地状況 - 最適用途 -
    建築条件備考 - 構造・工法
    • 木造
    間取り 2SLDK 建物階 地上3階
    建ぺい率 / 容積率 60% / 200%
    接道
    接道状況:
    一方
    接道詳細:
    • 南西 (公道 幅員 4.00m 接面 -)
    駐車場・車庫
    • 1台
    • 駐車場料金:無料
    完成時期
    • 2026年 3月
    引渡し可能時期
    • 2026年3月下旬 期日指定
    その他諸費用 -
    こだわり条件
    • ウォークインクローゼット
    • TVモニタ付インターホン
    • 食器洗い乾燥機
    • 全居室収納
    • 3階建て
    • 小学校まで1km以内
    • 駐車場あり
    備考
    • 物件種目:戸建
    • 主たる設備概要:-
    • 上水道:公営
    • 下水道:本下水
    • ガス・オール電化:都市ガス
    • セットバック:無
    • 国土法:不要
    • 法令上の制限その他:備蓄庫面積:0.81平米
    • 建築確認番号:第25UDI1W建07977号
    • 都市計画:市街化区域
    • 最寄り小学校名:さいたま市立大宮南小学校
    • 最寄り小学校までの距離:800m
    • 最寄り中学校名:さいたま市立大宮南中学校
    • 最寄り中学校までの距離:750m
    • 近隣の病院までの距離:1,360m
    • 備考欄: うち1F車庫面積:12.45平米/敷地内駐車場面積:12.45平米。
    関連サイト -

    全体概要

    所在地 埼玉県さいたま市大宮区天沼町2丁目
    交通
    • JR京浜東北・根岸線「大宮」駅まで バス 8分 バス停「庚申前」まで 徒歩 5分
    • JR高崎線「さいたま新都心」駅まで 徒歩 17分
    土地の権利 所有権
    総戸数 2戸
    私道負担 - 用途地域 第一種中高層住居専用地域
    地目 宅地 施工会社 -
    情報掲載開始日 2025年11月10日 情報更新日 2025年12月5日
    取引条件有効期限 2025年12月19日 次回更新予定日 -

    ローンシミュレーション

    頭金、借入期間、金利から毎月の住宅ローンお支払い額の目安を試算します。ご希望の条件に変更してご利用ください。

    物件価格の初期値は最低値を設定しております。実際にローン契約をする際は、詳細を不動産会社にご確認ください。

    万円
    万円
    %

    ※頭金や金利、借入期間によって支払う金額は変わります。

    ※物件購入時には、物件価格の他に諸費用がかかります。

    =
    月々のお支払い目安
    元金
    万円/月
    金利
    万円/月
    お支払い目安
    万円/月

    お問い合わせ

    ご覧いただいている物件の住宅ローンや実際にかかる諸費用、資金計画などのご相談ができます。

    不動産会社へのお問い合わせ

    株式会社東宝ハウス浦和

    この物件のアピールポイント

    《当日見学可能な物件です!》〜■■見学予約は【0120-919-113】まで。お気軽にお問合せ下さい

    この物件の価格

    5,380万円

    • 会社名:株式会社東宝ハウス浦和
    • 住所:埼玉県さいたま市浦和区岸町6丁目1-5
    • 電話:0120-919-113
    • 交通:JR京浜東北・根岸線「浦和」駅まで 徒歩 10分
    • 取引態様:媒介
    • 免許番号:埼玉県知事(04)第021060号
    • 不動産団体名:(公社)首都圏不動産公正取引協議会、(公社)全日本不動産協会
    • 保証協会:(公社)不動産保証協会
    • 売主:-
    • 売主免許番号:-
    • 関連サイト:-

    お電話でのお問い合わせはこちら(取り扱い不動産会社に直接つながります)

    電話をかける(携帯電話・PHSでも可)

    1電話番号を入力する

    0037-634-40566

    お問い合わせ先

    株式会社東宝ハウス浦和

    2音声案内に従い、以下の番号を入力

    お問い合わせ番号 54152-3193

    不動産会社につながります

    不動産会社のスタッフと
    直接電話で話せます

    店舗スタッフ
    • お客様の電話番号は不動産会社に通知されません。
    • 光IP電話、及びIP電話からはご利用になれません。
    • 定休日や営業時間外にてお電話がつながらない場合は、お問い合わせフォームよりお問い合わせください。
    • 携帯電話からお問合せいただいた方には、ショートメッセージ(SMS)またはLINE通知メッセージによるお問い合わせ内容に関する通知を株式会社LIFULLよりお届けする場合があり、お客様の電話番号は株式会社LIFULLで一定期間保管されます。
    • 株式会社LIFULLの個人情報の取扱い方針に同意のうえ、お電話ください。
    • オーナー様・不動産会社様・現在ご入居中のお客様など、住まい探し以外のご相談はこちらからお問い合わせください。

    他の物件も見てみる

    最近見た物件
    • 外観
    • 間取り

    • 完成後1年を経過している未入居物件が掲載されている場合があります。
    • 販売住戸が複数の物件は、全ての住戸に該当しない項目もあります。各問い合わせ先にご確認ください。
    • 「建築条件付き土地」とは、一定期間内(概ね3ヶ月程度)に特定の建設会社と建築請負契約を結ぶことを 条件にしている宅地のことです。
    • 建物の内容は、土地購入者の自由意思により決定可能で、土地売買契約後、 建築請負会社と購入した土地に建設する建物について協議することになります。
    • 期間内に建築請負契約が成立しなければ売買契約は白紙となり、支払済みの金銭はすべて返却されます。
    • 「建築条件付き土地」の価格には、建物価格は含まれません。
    • 「建築条件付き土地」の「建物プラン例」は、土地購入者の設計プランの一例であり、プランの採用可否は任意です。
    • 「土地(建築条件なし)」の「建物プラン例」に関して、そのプラン例は特定の建築請負会社によるもので、当該建築請負会社以外で建てた場合、同様のものが同価格で建てられるとは限りません。また、建築請負会社を特定するものではありません。
    • 消費税および地方消費税の対象となる場合は税込み価格が表示されています。
    • 物件の写真やイラスト、CGなどは実際と異なる場合があります。
    • 市区町村の合併などにより、地図が表示されない場合があります。ご了承ください。
    • お客様が入力する個人情報を含むお問い合わせデータは、LIFULL HOME'Sを経由して当該物件情報の取扱会社に転送されます。
    • 不動産購入の検討、契約にあたってはお客様ご自身が情報を確認し、各会社より十分な説明を受け判断してください。
    • 本ページの掲載内容は変更される場合があります。あらかじめご了承ください。
    ページトップへ