西東京市芝久保町3丁目19期 全17棟

新築仲介一戸建て
所在地 東京都西東京市芝久保町3
交通
  • 西武新宿線「花小金井」駅 徒歩18分
  • 西武新宿線「田無」駅 徒歩20分
  • 価格 5298万円~6198万円
    資料請求する無料 見学予約する無料

    ※LIFULL HOME'Sの資料請求ページに移動します

    お気に入りに追加
    • 物件情報
    • 地図・周辺情報
    • 間取り 3LDK・4LDK
      土地面積 110.08m2~117.67m2
      建物面積 86.52m2~91.08m2
      建物階 木造2階建
      完成時期
      • 2025年6月中旬
    • ☆リビング☆
明るく開放感のあるリビング。対面式キッチンは、いつでもご家族を感じられる空間作りの重要ポイントになりそうです。
    • 【現地外観写真】気になった物件すぐにご見学対応させていただきます♪平日・お仕事帰りなど、いつでもご案内可能です♪周辺環境と併せて、実際に現地をご確認ください♪
    • 【前面道路含む現地写真】扉を開けばそこに待っているのは上質な空間とマイホームでの新生活をイメージさせる優雅なひととき。「この家なら…」ではなく「ここに住みたい♪」と思う感動をお届けいたします
    • 【現地外観写真】住宅性能評価で耐震等級3(最高等級)を取得!お客様を守る大切な住宅だからこそ、第三者の検査を受けて安心して住んでいただける住宅をご案内させて頂きます。その頑丈さを、ぜひ現地にてご体感
    • 【バルコニー】バルコニーは、洗濯物や布団を干すだけでなく、暖かな陽射しや爽やかな風を存分に取り込み、お部屋に解放感をもたらします☆幅が広めのバルコニーなので家事もしやすいですね♪
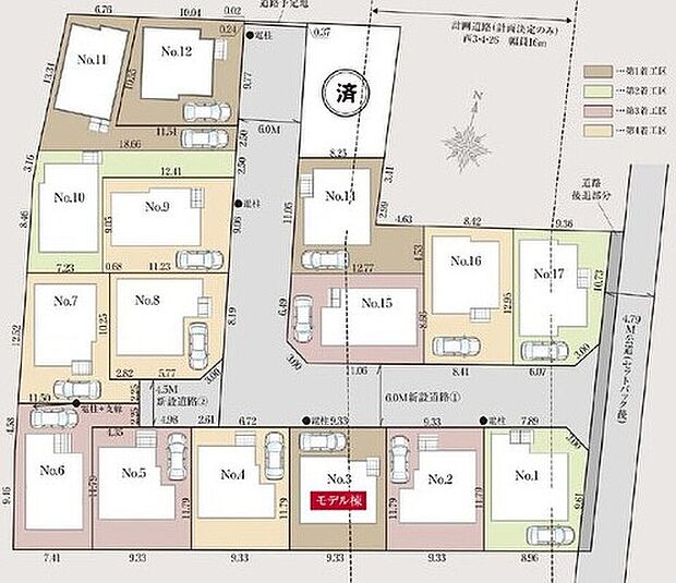
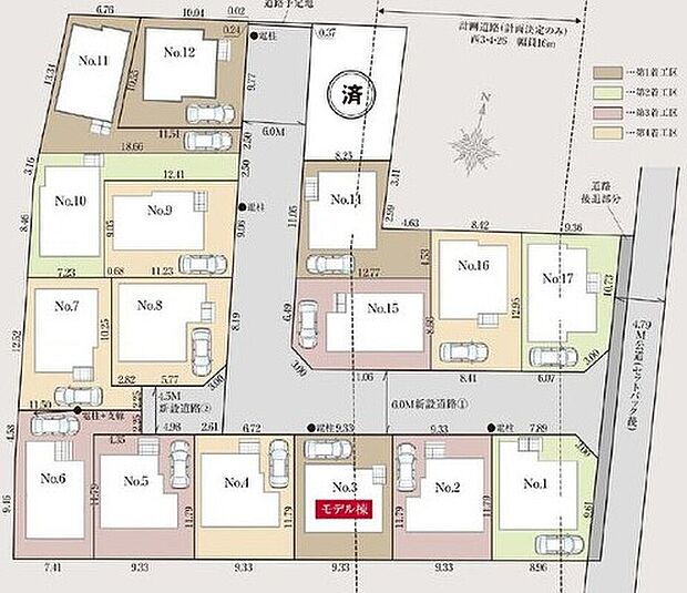
    • 【区画図】全棟それぞれ異なる設備を備えた多彩な間取り!ライフスタイルに合わせて最適なお家をご購入頂けます♪
    • 【4LDK】●2階ホール収納●2Wayパントリー
●憩いの和室付き●広々ワイドバルコニー
    • 【4LDK】●全居室南向き●玄関シューズインクローク
●憩いの和室付き●大型ウォークインクローゼット
    • 【3LDK】●水周り集中設計●主寝室7.25帖
●リビングイン階段●大型ウォークインクローゼット
    • 【4LDK】●2階4部屋4LDK●水周り集中設計
●南に広く面した18帖LDK●全居室収納完備
    • 【4LDK】●18の広々リビング●水周り集中設計
●2部屋続きのバルコニー●全居室に収納完備
    • 【4LDK】●パントリー付きキッチン●リビング収納あり
●玄関に大容量シューズインクローク
    • 【【省エネ性能ラベル】】こちらの物件はZEH水準を満たした、省エネ性能に優れた物件です。 光熱費を抑えて暮らすことができるだけでなく、「熱の入りにくさ・逃げにくさ」という観点でも影響を受けにくい建物のため、長く快適にお過ごしいただけます♪ ※本ラベルは特定の住戸の性能を示すものであり、全ての住戸の性能を示すものではありません。
    • 【【食器洗浄乾燥機】】忙しい奥様の味方、後片付けもラクラクなビルトイン食洗機付き。洗い終わった食器の水切りや乾燥としても便利です。
    • 【【システムキッチン】】見栄えもよくお手入れもスムーズに出来ます。豊富な収納力もございますので、キッチンスペースをスッキリとお使い頂けそうです。
    • 【【Low-e複層ガラス】】ペアガラスに挟まれた中空層のどちらか一方のガラス面にコーティングしたガラス。通常のペアガラスよりも断熱性に優れ、室内の居室などに採用。エアコンの費用を抑えています。
    • 【【浴室換気乾燥機】】雨の日や冬場のお洗濯に嬉しい装備。洗濯物を乾かすだけでなく、入浴後に換気機能で湿気を排出できるためカビの防止にもなります。
    • 【【TVモニター付きインターホン】】録画機能もあり、どのような人が何時に来訪されたのかが分かります。防犯上はもちろん、お届け物などの把握にも便利です。ライトが付いているので、夜間でも安心です。
    • 【オリジナル柱脚・柱頭固定金物「TロックII」】「TロックII」は、ホールダウン金物の約2倍の強度があり、接合部の強度を増加させ、地震や風圧がかかった場合の柱の抜けを防ぎます。
    • 【「オリジナル耐力壁パネル」で特許を取得】壁倍率5.0倍は国土交通省が定める数値内の最高値で、通常の合板による壁倍率2.5倍の2倍の強度となっています。
    • 【I.D.S工法 耐震性能実験】異なる4種類の大地震(阪神大震災・新潟県中越地震・ロサンゼルス地震・想定関東地震)で続けて揺らしても、倒壊はおろか損傷もしない耐震性能がある事が確認された。
    • 【リビング】『LDKは家族だんらんをデザイン』家族が集まり一緒の時間がすごせる工夫がされております。何気ない一日のひとコマが何者にも代えがたい宝物になることでしょう♪
    • 【リビング以外の居室】憩いの場であったり、来客用のお部屋だったりとあったら嬉しい和室♪
    • 【リビング以外の居室】個室としてお使いいただける洋室。大切なのは明るさと風通し、明るい日差しと心地よい風で自分のお部屋でくつろげる贅沢をご提供します。
    • 【リビング以外の居室】充分な広さの収納を備え、普段使いの洋服も選ぶのが楽しくなりそう♪採光良好な洋室は、快適空間。プライベートの時間もゆったりお寛ぎ頂けそうです。
    • 【玄関】お家に出会う人々を迎える玄関だからこそ、広々清潔感あふれる空間にしたいものです。採光・通風にも配慮された設計で毎日明るい空間をキープします♪
    • 【洗面台・洗面所】明るく清潔感溢れるサニタリースペース。毎日使う場所だからこそ、快適な空間となっております。
    • ☆現地外観写真☆
気になった物件すぐにご見学対応させていただきます♪平日・お仕事帰りなど、いつでもご案内可能です♪周辺環境と併せて、実際に現地をご確認ください♪
    • ☆リビング☆
ここにはみんなが集い、食事と楽しい会話が始まる。話に夢中になりすぎて、ついつい時を忘れ時間が過ぎてしまう。そんな束の間の幸せを感じさせてくれる場所となることでしょう。
    • (2号棟)4LDK、土地面積110.10m2、建物面積87.76m2
    • 【区画図】
全棟それぞれ異なる設備を備えた多彩な間取り!ライフスタイルに合わせて最適なお家をご購入頂けます♪
    • 西武新宿線「花小金井」駅徒歩18分

    住みやすさ

    花小金井の住みやすさの採点分布

           
    ココが住みやすい!
    • 駅まで基本フラットなので、自転車があれば多少駅から離れていても問題なし。駅前には西友、いなげやがあり、松屋やすき家、マックな…
    • 落ち着いている市で、住み心地が良かったです。とくに駅周辺の雰囲気が良かったです。歩道も広くて、駅まで通いやすかったです。
    • 西武新宿線で急行が停まり、新宿まで30分で行ける。 駅周辺には、夜遅くまでやっているスーパーもあり、帰りが遅くなっても立ち…
    ※住みやすさに関する評点は、単純平均ではなく当社独自の集計方法を加え算出しています。
    お気に入りに追加 この物件の資料請求無料 見学予約する無料

    ※LIFULL HOME'Sの資料請求ページに移動します

    販売スケジュール

    販売中

    販売概要

    販売戸数 8戸 最多価格帯 5200万円台・5300万円台・5600万円台・5700万円台・6000万円台(各2戸)
    販売価格 5298万円~6198万円
    土地面積 110.08m2~117.67m2
    建物面積 86.52m2~91.08m2
    建物状況 - 建物現況 新規分譲
    土地状況 - 最適用途 -
    建築条件備考 - 構造・工法 -
    間取り 3LDK・4LDK 建物階 木造2階建
    建ぺい率 / 容積率 建ペい率:40%、容積率:80%
    接道
    道路幅:3.5m~6m、アスファルト舗装、東側3.5m公道、分譲地内6.0m道路
    駐車場・車庫
    • 1台
    完成時期
    • 2025年6月中旬
    引渡し可能時期
    • 即引渡可
    その他諸費用 -
    こだわり条件
    • 瑕疵担保付き
    • 見学可能
    • 浴室乾燥機
    • カウンターキッチン
    • 食器洗い乾燥機
    • 床下収納
    • ウォークインクローゼット
    • シューズクローク
    • パントリー
    • バリアフリー
    • 和室
    • TVモニタ付インターホン
    • 低層住宅地
    • 総戸数・総区画数が10以上〜30未満
    • 長期優良住宅
    • 設計住宅性能評価付き
    • 角地
    • 南道路
    • 即入居可
    • スーパー 800m以内
    • 小学校まで1km以内
    • 小学校 800m以内
    • オンライン相談可
    • 駐車場あり
    備考
    • 物件種目:戸建
    • 主たる設備概要:公営水道、本下水、都市ガス
    • 建築確認番号:完成済みのため省略
    • 備考欄:【その他制限事項】
      景観法による規制有、景観法、農地法

      【間取情報】
      ・14号棟: 4LDK、 建物面積: 87.76m2、土地面積: 110.1m2、5698万円
      ・17号棟: 4LDK、 建物面積: 87.98m2、土地面積: 110.09m2、6098万円


      【周辺環境】
      【学校】
      西東京市立芝久保小学校:徒歩5分(350m)
      西東京市立田無第一中学校:徒歩13分(1000m)
      東京都立田無高校:徒歩17分(1300m)

      【幼稚園・保育園】
      田無いづみ幼稚園:徒歩5分(400m)
      きたしば保育園:徒歩6分(450m)

      【買い物】
      オーケー田無芝久保店:徒歩6分(450m)
      業務スーパー田無店:徒歩2分(100m)
      イオンタウン田無芝久保:徒歩10分(800m)
      ファミリーマート田無芝久保店:徒歩4分(260m)

      【その他】
      医療法人社団東光会西東京中央総合病院:徒歩12分(900m)
      小平市東部出張所:徒歩15分(1200m)
      田無芝久保二郵便局:徒歩3分(210m)



      ◎貴重なお時間の中で、ご希望の情報をご案内致します!
       お客様のご都合に合わせて「知りたい情報だけ」という短時間のご案内も可能です。
      事前にお申し付けください。

      ◎見学の際はお客様のご希望に合わせて3コース設けております。
       当日はデジカメやスマホでの写真撮影ももちろん可能です。ご自宅でのご検討の際にお役立てください。
      1)さくっと現地見学コース(所要時間:30分)
      お忙しいお客様向けです。物件のご案内(主に間取り)のみさせていただきます。
      2)じっくり見学コース(所要時間:1時間)
      物件の雰囲気だけではなく、設備などもしっかり確認されたいお客様向けです。
      間取りに加え、システムキッチンなど気になる設備もしっかりご案内いたします。
      3)納得見学コース(所要時間:2時間)
      「見学予約」の際は、上記希望の番号をご入力ください。
      「お電話やメール」の際も、番号をお伝えいただけると、ご案内がスムーズです。

      ◎物件の間取り、設備に加え、周辺環境もご案内いたします。
       現時点では、小学校、スーパー、図書館などご家族でご利用されることが予想される施設を車で回る予定です。「こんな施設があったら見学したい!」というようなご希望があればぜひご連絡ください。

      ◎初めての住宅購入で、何から始めればいいか分からない!
       そんなお客様に、経験豊富なスタッフがわかりやすく丁寧にご案内致します!
      小さなお子様連れでもゆったりと見学いただけますので、まずはお気軽にお問い合わせください。

      ◎案内員が常駐しておりませんので、見学の際は必ず事前にお問い合わせいただけますと幸いです。
    関連サイト -

    省エネ性能

    この物件の省エネ性能がわかる「省エネ性能ラベル」です。省エネ性能ラベルは2024年4月以降に建築確認申請した物件などで表示しています。

    ※「省エネ性能ラベル」は特定の住戸の性能を示し、全ての住戸の性能を示していない場合があります。

    省エネ性能ラベル
    エネルギー消費性能
    (削減率50%達成)
    エネルギー消費性能とは
    星マークの数が多いほどエネルギー消費性能が高いことを示しています。再エネ設備のない住宅は★0~★4の5段階評価、再エネ設備がある住宅は★0~★6の7段階評価となります。
    断熱性能
    5段階 / 7段階
    断熱性能とは
    数値が高いほど断熱性能が高いことを示しています。「熱の逃げやすさ」と「日射熱の入りやすさ」の2つの点で7段階で評価しています。
    目安光熱費
    - /年
    目安光熱費とは
    一年間にかかる光熱費の目安額です。住宅の省エネ性能と全国一律の燃料等の単価を用いて、一定の条件下で自動算出したもので、実際にかかる光熱費とは異なります。

    全体概要

    所在地 東京都西東京市芝久保町3
    交通
    • 西武新宿線「花小金井」駅 徒歩18分
    • 西武新宿線「田無」駅 徒歩20分
    • JR中央線「三鷹」駅 バス22分「田無橋場」バス停 徒歩6分
    土地の権利 所有権
    総戸数 17戸
    私道負担 - 用途地域 第一種低層住居専用地域
    地目 宅地 施工会社 -
    情報掲載開始日 2025年10月31日 情報更新日 2025年11月28日
    取引条件有効期限 2025年12月26日 次回更新予定日 随時

    ローンシミュレーション

    頭金、借入期間、金利から毎月の住宅ローンお支払い額の目安を試算します。ご希望の条件に変更してご利用ください。

    物件価格の初期値は最低値を設定しております。実際にローン契約をする際は、詳細を不動産会社にご確認ください。

    万円
    万円
    %

    ※頭金や金利、借入期間によって支払う金額は変わります。

    ※物件購入時には、物件価格の他に諸費用がかかります。

    =
    月々のお支払い目安
    元金
    万円/月
    金利
    万円/月
    お支払い目安
    万円/月

    お問い合わせ

    ご覧いただいている物件の住宅ローンや実際にかかる諸費用、資金計画などのご相談ができます。

    不動産会社へのお問い合わせ

    飯田グループホールディングス ホームトレードセンター(株)ひばりが丘営業所

    この物件のアピールポイント

    〈〈本日ご見学可〉〉地震に強い家!全17棟の大規模分譲地!    ○小学校徒歩5分・中学校徒歩13分・スーパー徒歩2分  コンビニ徒歩4分・保育園徒歩6分・病院徒歩12分    ●充実の標準仕様  ・家事の時短にお役立ち食器洗乾燥機  ・雨の日や花粉の時期に便利な浴室乾燥機  ・靴はもちろんベビーカーも収納できるSIC  ・デザイン性豊かな折下天井を採用

    この物件の価格

    5298万円~6198万円

    • 会社名:ホームトレードセンター株式会社 ひばりが丘営業所
    • 住所:東京都西東京市ひばりが丘北3-6-10 センチュリーひばりが丘コンフォートアリーナ 1階
    • 電話:042-429-3280
    • 取引態様:<仲介>飯田グループホールディングス ホームトレードセンター(株)ひばりが丘営業所
    • 免許番号:国土交通大臣 (3) 第 8044 号
    • 不動産団体名:(公社)首都圏不動産公正取引協議会 (公社)東京都宅地建物取引業協会
    • 売主:-
    • 売主免許番号:-
    • 関連サイト:-
    資料請求する無料 見学予約する無料

    ※LIFULL HOME'Sの資料請求ページに移動します

    他の物件も見てみる

    条件が似た物件
    • 外観
    • 間取り

    最近見た物件
    • 外観
    • 間取り

    • 完成後1年を経過している未入居物件が掲載されている場合があります。
    • 販売住戸が複数の物件は、全ての住戸に該当しない項目もあります。各問い合わせ先にご確認ください。
    • 「建築条件付き土地」とは、一定期間内(概ね3ヶ月程度)に特定の建設会社と建築請負契約を結ぶことを 条件にしている宅地のことです。
    • 建物の内容は、土地購入者の自由意思により決定可能で、土地売買契約後、 建築請負会社と購入した土地に建設する建物について協議することになります。
    • 期間内に建築請負契約が成立しなければ売買契約は白紙となり、支払済みの金銭はすべて返却されます。
    • 「建築条件付き土地」の価格には、建物価格は含まれません。
    • 「建築条件付き土地」の「建物プラン例」は、土地購入者の設計プランの一例であり、プランの採用可否は任意です。
    • 「土地(建築条件なし)」の「建物プラン例」に関して、そのプラン例は特定の建築請負会社によるもので、当該建築請負会社以外で建てた場合、同様のものが同価格で建てられるとは限りません。また、建築請負会社を特定するものではありません。
    • 消費税および地方消費税の対象となる場合は税込み価格が表示されています。
    • 物件の写真やイラスト、CGなどは実際と異なる場合があります。
    • 市区町村の合併などにより、地図が表示されない場合があります。ご了承ください。
    • お客様が入力する個人情報を含むお問い合わせデータは、LIFULL HOME'Sを経由して当該物件情報の取扱会社に転送されます。
    • 不動産購入の検討、契約にあたってはお客様ご自身が情報を確認し、各会社より十分な説明を受け判断してください。
    • 本ページの掲載内容は変更される場合があります。あらかじめご了承ください。
    ページトップへ