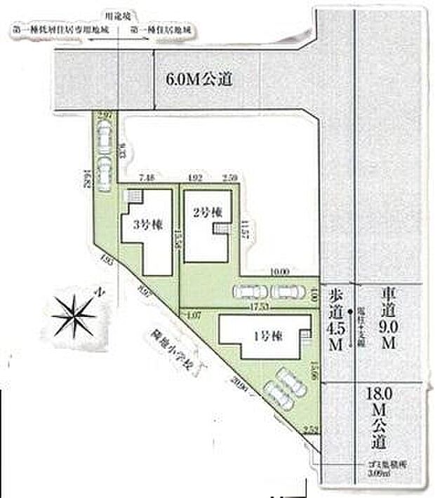
| 所在地 | 埼玉県桶川市上日出谷南3 |
|---|---|
| 交通 | |
| 価格 | 2799万円 月々のお支払い目安
|

| 間取り | 4LDK |
|---|---|
| 土地面積 | 165.15m2 |
| 建物面積 | 96.88m2 |
| 建物階 | 木造2階建 |
| 完成時期 |
|



































販売中
| 販売戸数 | 1戸 | 最多価格帯 | - |
|---|---|---|---|
| 販売価格 |
2799万円 月々のお支払い目安
|
||
| 土地面積 | 165.15m2(実測) | ||
| 建物面積 | 96.88m2(実測) | ||
| 建物状況 | - | 建物現況 | 新規分譲 |
| 土地状況 | - | 最適用途 | - |
| 建築条件備考 | - | 構造・工法 | - |
| 間取り | 4LDK | 建物階 | 木造2階建 |
| 建ぺい率 / 容積率 | 建ペい率:60%・50%、容積率:200%・100% | ||
| 接道 |
|
||
| 駐車場・車庫 |
|
完成時期 |
|
| 引渡し可能時期 |
|
||
| その他諸費用 | - | ||
| こだわり条件 |
|
||
| 備考 |
|
||
| 関連サイト | - | ||
| 所在地 | 埼玉県桶川市上日出谷南3 | ||
|---|---|---|---|
| 交通 |
|
||
| 土地の権利 | 所有権 | ||
| 総戸数 | 3戸 | ||
| 私道負担 | - | 用途地域 | 第一種住居地域、第一種低層住居専用地域 |
| 地目 | 宅地 | 施工会社 | - |
| 情報掲載開始日 | 2025年10月24日 | 情報更新日 | 2026年2月3日 |
| 取引条件有効期限 | 2026年3月31日 | 次回更新予定日 | 随時 |
頭金、借入期間、金利から毎月の住宅ローンお支払い額の目安を試算します。ご希望の条件に変更してご利用ください。
物件価格の初期値は最低値を設定しております。実際にローン契約をする際は、詳細を不動産会社にご確認ください。
この物件のアピールポイント
【当社、飯田グループの分譲住宅】小学校至近・商業施設が充実した便利なエリア! ■周辺環境 日出谷小学校:徒歩1分・桶川西中学校:徒歩17分・愛宕幼稚園:徒歩14分 スーパー:徒歩5分・コンビニ:徒歩8分・ドラッグストア:徒歩6分 ■快適な充実設備 ・来客時の客間やくつろぎ場として最適な和室!(2・3号棟) ・季節を問わずたっぷり収納ができるウォークインクローゼット完備! ・雨の日や冬場のお洗濯にあると嬉しい浴室乾燥機が標準装備!
この物件の価格
2799万円