鶴見区北寺尾4丁目 全2棟1号棟

新築仲介一戸建て
所在地 神奈川県横浜市鶴見区北寺尾4丁目
交通
  • JR京浜東北・根岸線「鶴見」駅まで 3.1km
  • JR横浜線「菊名」駅まで 3km
  • 価格 5,180万円
    • 物件情報
    • 地図・周辺情報
    • 間取り 4LDK
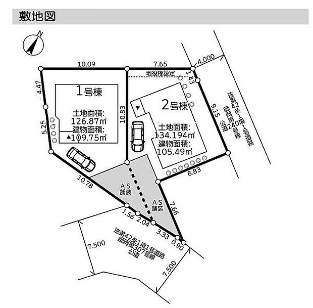
      土地面積 126.00m2(実測)
      建物面積 109.75m2
      建物階 地上2階
      完成時期
      • 2025年 10月
    • 《外観》 ■家族みんなが落ち着ける場所。明るい空間で心も暖か、朝から爽やかな気分。寝る時も包みこまれるようにふんわりと。家にいることが心と体に優しい暖かな暮らし。
    • 《洗面化粧台》■ダブルボールの洗面所の側面に収納を施し、優雅さをプラス。スタイリッシュで機能的。美しさと便利さを兼ね備えた理想の暮らしを実現します。
    • 《洗面台》 ■1階にウエルカム洗面台を設けました。こまめな手洗いなどがすぐにできて清潔で快適な生活が送れます。
    • 《洋室》 ■型にはまらない多才なプライベートルーム。くつろぎの場としてだけでなく、趣味や仕事のパーソナルスペースとしても活躍する、ゆったりした寝室。個の時間をたっぷり楽しめる快適空間です。
    • 《寝室》 ■心地よい眠りへといざなうしっとりと落ち着いた雰囲気の寝室。収納豊富で寝室をいつもすっきりさせてくれます。
    • 《洋室》 ■机とべットを入れても十分な広さ。。お子様の勉強部屋に。
    • 《洋室》 ■明るくスタイリッシュな空間になっています。
    • 《ルーフバルコニー》 ■大きなバルコニーからは遠方まで景色を見渡せて、空の青さに包まれるような心地よさを味わえます。
    • 《バルコニー》 ■陽当りも良く、洗濯物も良く乾きそうです。
    • 《収納》 ■収納はあればあるほど助かりますね。
    • 《収納》 ■効率よく片付けられる収納スペース
    • トレッサ横浜まで1710m、ファッション・グルメ・スーパーなど専門店で構成された、イベントも充実しているショッピングモール。週末でも駐車場が無料。
    • ライフ鶴見店まで1096m、広い店内は、所狭しと商品が陳列してあります。お目当てのモノもきっと見つかる宝探し。ゆっくりお買い物を楽しめます。
    • まいばすけっと東寺尾中台店まで1316m、営業時間:8時〜23時 毎日の生活用品が、ギュッと詰まったスーパーマーケット。イオン系列の価格で、お買い物ができます。
    • 横浜市立寺尾中学校まで602m
    • 横浜市立旭小学校まで414m
    • 橘幼稚園まで469m
    • 平和病院まで2208m、18の診療科目がある大きな病院があるのは心強いですね。
    • 獅子ケ谷第三公園まで554m、住宅街の比較的広めな公園です。公園の設備には水飲み・手洗い場があります。
    • 獅子ケ谷公園まで584m、ブランコや複合滑り台、鉄棒があります。
    • 《トイレ》 ■清潔感のある落ち着いたトイレ。
    • 《リビングダイニング》 ■開放的で広いリビング。のびのびとくつろげるリビングは、家族のコミュニケーションの場としてみんなが集まる場所に。
    • 《リビングダイニング》 ■ご家族でゆったりとした時間を過ごす場所です。
    • 《キッチン》 ■使いやすい収納豊富なキッチンです。
    • 《キッチン》 ■家族が集う楽しく親子の会話もはずむキッチン。明るく清潔で使い勝手のいいキッチンには、いつも家族の笑顔があふれています。
    • 《浴室》 ■ゆったりくつろげる癒しのバスルーム。
    • 《浴室暖房乾燥機》 ■浴室を温めてくれるので、冬のお風呂も快適。衣類乾燥やカビ防止等様々な用途でお役に立ちます。
    • 《眺望》 ■前面に高い建物がないので開放的で開けた眺望が望めます。
    • 1号棟

    住みやすさ

    鶴見の住みやすさの採点分布

           
    ココが住みやすい!
    • ファミリー層が比較的多い地域であり、近くに小学校中学校高等学校や公園が密集しており、犯罪発生が皆無でもあったので、治安が良か…
    • スーパーやコンビニ、病院などとても充実していて、困ったらすぐに行きたいというところがそろっていて特に不自由なく生活できていま…
    • 古き良き街並みが残っていて、昔ながらの近所付き合いなどがその当初はあった。お祭りごとなども多くあり、子供がたくましく育つ環境…
    ※住みやすさに関する評点は、単純平均ではなく当社独自の集計方法を加え算出しています。

    販売概要

    販売戸数 1戸 最多価格帯 -
    販売価格 5,180万円
    土地面積 126.00m2(実測)
    建物面積 109.75m2
    建物状況 新築 建物現況 空家
    土地状況 - 最適用途 -
    建築条件備考 - 構造・工法
    • 木造
    間取り 4LDK
    間取り内訳:リビングダイニングキッチン 17帖(1階)・洋室 7.2帖(2階)・洋室 6帖(2階)・洋室 5.2帖(2階)・洋室 5.2帖(2階)
    建物階 地上2階
    建ぺい率 / 容積率 40% / 80%
    接道
    接道状況:
    一方
    接道詳細:
    • 南東 (公道 幅員 7.50m 接面 -)
    駐車場・車庫
    • 1台
    • 駐車場料金:無料
    完成時期
    • 2025年 10月
    引渡し可能時期
    • 即時
    その他諸費用 -
    こだわり条件
    • TVモニタ付インターホン
    • バリアフリー
    • 浴室乾燥機
    • 全居室収納
    • オートバス
    • 即入居可
    • 低層住宅地
    • 小学校まで1km以内
    • 駐車場あり
    備考
    • 物件種目:戸建
    • 主たる設備概要:-
    • 上水道:公営
    • 下水道:本下水
    • ガス・オール電化:都市ガス
    • 国土法:不要
    • 法令上の制限その他:宅地造成工事規制区域、敷地内に電線及び支線が入る場合があります 建築基準法第22条区域 不整形地 協約地部分あり
    • 建築確認番号:第24UDI1K建01934号
    • 都市計画:市街化区域
    • 最寄り小学校名:旭小学校
    • 最寄り小学校までの距離:411m
    • 最寄り中学校名:寺尾中学校
    • 最寄り中学校までの距離:631m
    • その他施設名:トレッサ横浜
    • その他施設までの距離:1,710m
    • 近隣の公園までの距離:554m
    • 近隣のスーパーマーケットまでの距離:1,096m
    • 備考欄:[物件コード]011901-314171-324456、2棟販売1号棟 ■省エネ給湯器とペアガラスでエコな暮らし■
    関連サイト -

    全体概要

    所在地 神奈川県横浜市鶴見区北寺尾4丁目
    交通
    • JR京浜東北・根岸線「鶴見」駅まで 3.1km
    • JR横浜線「菊名」駅まで 3km
    土地の権利 所有権
    総戸数 -
    私道負担 - 用途地域 第一種低層住居専用地域
    地目 宅地 施工会社 -
    情報掲載開始日 2025年4月19日 情報更新日 2025年12月1日
    取引条件有効期限 2025年12月15日 次回更新予定日 -

    ローンシミュレーション

    頭金、借入期間、金利から毎月の住宅ローンお支払い額の目安を試算します。ご希望の条件に変更してご利用ください。

    物件価格の初期値は最低値を設定しております。実際にローン契約をする際は、詳細を不動産会社にご確認ください。

    万円
    万円
    %

    ※頭金や金利、借入期間によって支払う金額は変わります。

    ※物件購入時には、物件価格の他に諸費用がかかります。

    =
    月々のお支払い目安
    元金
    万円/月
    金利
    万円/月
    お支払い目安
    万円/月

    お問い合わせ

    ご覧いただいている物件の住宅ローンや実際にかかる諸費用、資金計画などのご相談ができます。

    不動産会社へのお問い合わせ

    (株)日立ホーム

    この物件のアピールポイント

    ■断熱等級5、一次エネルギー一等級6相当の【ZEH水準住宅仕様】■青空を満喫、ルーフバルコニー付き■

    この物件の価格

    5,180万円

    • 会社名:センチュリー21日立ホーム
    • 住所:神奈川県横浜市西区北幸2丁目15-1東武横浜第2ビル1F
    • 電話:045-316-5823
    • 交通:JR東海道本線「横浜」駅まで 徒歩 8分
    • 取引態様:媒介
    • 免許番号:神奈川県知事(10)第14861号
    • 不動産団体名:(公社)全日本不動産協会、(公社)首都圏不動産公正取引協議会
    • 保証協会:(公社)不動産保証協会
    • 売主:-
    • 売主免許番号:-
    • 関連サイト:-

    お電話でのお問い合わせはこちら(取り扱い不動産会社に直接つながります)

    電話をかける(携帯電話・PHSでも可)

    1電話番号を入力する

    0037-634-01662

    お問い合わせ先

    (株)日立ホーム

    2音声案内に従い、以下の番号を入力

    お問い合わせ番号 99394-3190

    不動産会社につながります

    不動産会社のスタッフと
    直接電話で話せます

    店舗スタッフ
    • お客様の電話番号は不動産会社に通知されません。
    • 光IP電話、及びIP電話からはご利用になれません。
    • 定休日や営業時間外にてお電話がつながらない場合は、お問い合わせフォームよりお問い合わせください。
    • 携帯電話からお問合せいただいた方には、ショートメッセージ(SMS)またはLINE通知メッセージによるお問い合わせ内容に関する通知を株式会社LIFULLよりお届けする場合があり、お客様の電話番号は株式会社LIFULLで一定期間保管されます。
    • 株式会社LIFULLの個人情報の取扱い方針に同意のうえ、お電話ください。
    • オーナー様・不動産会社様・現在ご入居中のお客様など、住まい探し以外のご相談はこちらからお問い合わせください。

    他の物件も見てみる

    条件が似た物件
    • 外観
    • 間取り

    • 完成後1年を経過している未入居物件が掲載されている場合があります。
    • 販売住戸が複数の物件は、全ての住戸に該当しない項目もあります。各問い合わせ先にご確認ください。
    • 「建築条件付き土地」とは、一定期間内(概ね3ヶ月程度)に特定の建設会社と建築請負契約を結ぶことを 条件にしている宅地のことです。
    • 建物の内容は、土地購入者の自由意思により決定可能で、土地売買契約後、 建築請負会社と購入した土地に建設する建物について協議することになります。
    • 期間内に建築請負契約が成立しなければ売買契約は白紙となり、支払済みの金銭はすべて返却されます。
    • 「建築条件付き土地」の価格には、建物価格は含まれません。
    • 「建築条件付き土地」の「建物プラン例」は、土地購入者の設計プランの一例であり、プランの採用可否は任意です。
    • 「土地(建築条件なし)」の「建物プラン例」に関して、そのプラン例は特定の建築請負会社によるもので、当該建築請負会社以外で建てた場合、同様のものが同価格で建てられるとは限りません。また、建築請負会社を特定するものではありません。
    • 消費税および地方消費税の対象となる場合は税込み価格が表示されています。
    • 物件の写真やイラスト、CGなどは実際と異なる場合があります。
    • 市区町村の合併などにより、地図が表示されない場合があります。ご了承ください。
    • お客様が入力する個人情報を含むお問い合わせデータは、LIFULL HOME'Sを経由して当該物件情報の取扱会社に転送されます。
    • 不動産購入の検討、契約にあたってはお客様ご自身が情報を確認し、各会社より十分な説明を受け判断してください。
    • 本ページの掲載内容は変更される場合があります。あらかじめご了承ください。
    ページトップへ