| 所在地 | 広島県広島市佐伯区八幡四丁目53番10、11(地番) |
|---|---|
| 交通 | |
| 価格 | 2,400万円~2,410万円 月々のお支払い目安
|

| 間取り | - |
|---|---|
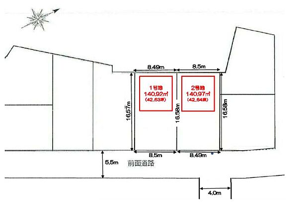
| 土地面積 | 140.92m2~140.97m2 |
| 建物面積 | - |
| 建物階 | - |
| 完成時期 |
|









販売中
| 販売区画数 | 2区画 | 最多価格帯 | - |
|---|---|---|---|
| 販売価格 |
2,400万円~2,410万円 月々のお支払い目安
|
||
| 土地面積 | 140.92m2~140.97m2 | ||
| 建物面積 | - | ||
| 建物状況 | - | 建物現況 | 分譲中 |
| 土地状況 | 更地 | 最適用途 | - |
| 建築条件備考 | 建築条件付き | 構造・工法 | - |
| 間取り | - | 建物階 | - |
| 建ぺい率 / 容積率 | 建ぺい率60% 容積率200% | ||
| 接道 |
|
||
| 駐車場・車庫 |
|
完成時期 |
|
| 引渡し可能時期 |
|
||
| その他諸費用 | - | ||
| こだわり条件 |
|
||
| 備考 |
|
||
| 関連サイト | - | ||
| 所在地 | 広島県広島市佐伯区八幡四丁目53番10、11(地番) | ||
|---|---|---|---|
| 交通 |
|
||
| 土地の権利 | 所有権 | ||
| 総区画数 | 2区画 | 開発面積 | - |
| 私道負担 | - | 用途地域 | 第一種住居地域 |
| 地目 | 宅地 | 施工会社 | - |
| 情報掲載開始日 | 2025年8月9日 | 情報更新日 | 2025年10月16日 |
| 取引条件有効期限 | 2026年12月31日 | 次回更新予定日 | 随時 |
頭金、借入期間、金利から毎月の住宅ローンお支払い額の目安を試算します。ご希望の条件に変更してご利用ください。
物件価格の初期値は最低値を設定しております。実際にローン契約をする際は、詳細を不動産会社にご確認ください。
この物件のアピールポイント
広島市佐伯区八幡に建築条件付き土地が販売中です!! ・八幡保育園まで徒歩約4分(約300m) ・八幡小学校まで徒歩約5分(約350m) ・城山中学校まで徒歩約15分(約1200m)