注文住宅を手掛けるデザイン邸宅~全4邸~カースペース2台・LDK勾配天井

新築仲介一戸建て
所在地 神奈川県川崎市麻生区千代ケ丘6
交通
  • 小田急小田原線「百合ヶ丘」駅 徒歩16分
  • 小田急小田原線「新百合ヶ丘」駅 徒歩23分
  • 価格 5480万円~6380万円
    資料請求する無料 見学予約する無料

    ※LIFULL HOME'Sの資料請求ページに移動します

    お気に入りに追加
    • 物件情報
    • 地図・周辺情報
    • 間取り 3LDK~3LDK+S(納戸)
      土地面積 138.53m2~144.95m2
      建物面積 99.16m2~102.06m2
      建物階 2階建
      完成時期
      • 2025年10月下旬
    • 【現地外観写真】2方向に開けた開放感と、優れた採光・通風が魅力の角地。ゆとりある住環境で、快適な暮らしを実現します。
    • 【前面道路含む現地写真】小田急線「百合ヶ丘」徒歩16分!
    • 【前面道路含む現地写真】シンプルな中にもデザイン性の光る外観。毎日の帰宅が楽しみになりそうです。
    • 【バルコニー】複数の空間とつながる便利な動線設計。お洗濯やお掃除もスムーズに行え、暮らしの快適さが広がります。
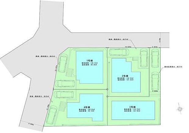
    • 【全体区画図】2方向に開けた開放感と、優れた採光・通風が魅力の角地。ゆとりある住環境で、快適な暮らしを実現します。
    • ゆったりLDKは家族との憩いの空間を実現。※画像は実際の室内写真をもとに、家具・調度品の配置例をCG合成したもので、実際とは多少異なります。また、家具等は販売価格に含まれません。
    • 【角地】開放感と採光性に優れた、希少性の高い角地物件。通風・陽当たりともに良好で、快適な住環境が魅力です。
    • 【デザイナーズ住宅】建築家のこだわりが随所に光る、洗練されたデザイン住宅。美しさと機能性を兼ね備えた、上質な暮らしを叶える住まいです。
    • 【カースペース2台】カースペースが2台分ございますので、家族分の自転車を駐輪したり、急な来客用の駐車スペースとしてもお使いいただけます。
    • 【勾配天井】天井が高く、空間に広がりと開放感をもたらします。光と風が心地よく巡る設計です。
    • 【ウォークインクローゼット】お子様との思い出もたっぷりしまえるウォークインクローゼット。衣類だけでなく、鞄などの小物からスーツケースやレジャー用品などの大きな物までたっぷり収納出来ます。
    • 【対面式システムキッチン】家族の様子を見守りながら料理ができる、開放感のあるキッチンです。
    • 【リビング】天井が高く、自然光がたっぷり差し込む開放的なリビング。※画像は実際の室内写真をもとに、家具・調度品の配置例をCG合成したもので、実際とは多少異なります。また、家具等は販売価格に含まれません。
    • 【キッチン】手間いらずで清潔キープ。家事ラクな食器洗乾燥機付きキッチン!
    • 【リビング以外の居室】クローゼットが充実した設計で、衣類や生活用品をすっきり整理整頓。お部屋を広く使え、快適で美しい空間を保てます。
    • 【リビング】和やかで洗練された空間の演出。※画像は実際の室内写真をもとに、家具・調度品の配置例をCG合成したもので、実際とは多少異なります。また、家具等は販売価格に含まれません。
    • 【洗面台・洗面所】広々洗面室×乾太くん搭載♪
    • 【浴室】毎日の疲れもしっかりとれる、広々バスルーム。浴室乾燥機付きで雨の日のお洗濯も安心です♪
    • 千代ヶ丘小(約600m)
    • 金程中(約1,100m)
    • ユーコープ 千代ヶ丘店(約1,000m)
    • Odakyu OX 万福寺店(約1,500m)
    • イオン新百合ヶ丘(約2,000m)
    • セブンイレブン川崎麻生千代ケ丘6丁目店(約260m)
    • (4号棟)、価格5980万円、3LDK、土地面積144.95m2、建物面積99.16m2
    • 広々洗面室×乾太くん搭載♪
    • 小田急線「百合ヶ丘」徒歩16分!
    • 2方向に開けた開放感と、優れた採光・通風が魅力の角地。ゆとりある住環境で、快適な暮らしを実現します。
    • ご家族みんなで調理ができる位のスペースを実現したキッチン空間となっております。

    住みやすさ

    百合ヶ丘の住みやすさの採点分布

         
    ココが住みやすい!
    • コンビニや弁当屋、スーパーなど最低限あり、隣駅の新百合ヶ丘に行けば、映画や買い物、図書館など一通り揃っており、小田急線一本で…
    • 駅周辺にスーパーやコンビニエンスストアが多く、買い物に困らない点。家が駅近で出かけるのも容易い点。小学校なども近くにあるので…
    • 割と駅の近くのアパートでしたが、夜も静かで閑静な住宅街でした。駅と駅の間が狭い地域なので、百合ヶ丘が最寄りでしたが、よみうり…
    ※住みやすさに関する評点は、単純平均ではなく当社独自の集計方法を加え算出しています。
    お気に入りに追加 この物件の資料請求無料 見学予約する無料

    ※LIFULL HOME'Sの資料請求ページに移動します

    販売スケジュール

    販売中

    販売概要

    販売戸数 4戸 最多価格帯 -
    販売価格 5480万円~6380万円
    土地面積 138.53m2~144.95m2
    建物面積 99.16m2~102.06m2
    建物状況 - 建物現況 新規分譲
    土地状況 - 最適用途 -
    建築条件備考 - 構造・工法 -
    間取り 3LDK~3LDK+S(納戸) 建物階 2階建
    建ぺい率 / 容積率 建ペい率:50%、容積率:80%
    接道
    道路幅:4m~6m、アスファルト舗装
    駐車場・車庫
    • 2台
    完成時期
    • 2025年10月下旬
    引渡し可能時期
    • 相談
    その他諸費用 -
    こだわり条件
    • 瑕疵担保付き
    • 見学可能
    • 浴室乾燥機
    • カウンターキッチン
    • 食器洗い乾燥機
    • 床下収納
    • ウォークインクローゼット
    • シューズクローク
    • パントリー
    • 吹き抜け
    • TVモニタ付インターホン
    • 低層住宅地
    • 角地
    • 最寄り駅が始発駅
    • 駐車場あり
    備考
    • 物件種目:戸建
    • 主たる設備概要:公営水道、本下水、都市ガス
    • 建築確認番号:第2025SBC-確00423H号他
    • 備考欄:【その他制限事項】
      景観法による規制有、宅地造成工事規制区域

      【イベント情報】
      現地見学会(事前に必ずお問い合わせください)
      日程/公開中
      時間/9:00~20:00
      ━━◇ TOHO HOUSE町田×ライフプランニング◇━━

      ◎FPによるライフプランのシュミレーション。
        ・購入後も無理の無い物件価格?
        ・漠然としたキャッシュフローをグラフに。
        ・ライフプランに合った資金計画
        ・効果的な生命保険の見直し etc...

      ◎住宅ローンのご相談
        ・繰り上げ返済は「いつ」、「どのくらい」するが効果的?
        ・どこの銀行で借りるとお得なの?
        ・適切な借入額は? etc...

      ■日時
      毎日、ご見学・ご相談が可能です。
      9:00~21:00まで

      ■ご案内方法
      ご自宅へお迎え・最寄駅等でお待ち合わせ、弊社へのご来社など、ご相談くださいませ。
      ご希望があれば周辺環境、お客様の希望に合わせた物件などもご案内をいたします。

      ■ご予約方法
      事前に鍵の手配が必要な場合がありますので、お早目にご連絡をいただけると、
      ご案内がスムーズです。

      ■キッズスペースもご用意しております☆
      弊社にはお子様が退屈しないよう、DVD、おもちゃ、絵本、ぬりえなどキッズスペースも充実させておりますので、ご安心下さい。

      ■お車の無料提携駐車場がございます。
      詳しくは営業スタッフよりお伝えさせて頂きます。
      なんでもお気軽にお申し付けくださいませ。
    関連サイト -

    全体概要

    所在地 神奈川県川崎市麻生区千代ケ丘6
    交通
    • 小田急小田原線「百合ヶ丘」駅 徒歩16分
    • 小田急小田原線「新百合ヶ丘」駅 徒歩23分
    • 小田急小田原線「新百合ヶ丘」駅 バス10分「千代ヶ丘七丁目」バス停 徒歩1分
    土地の権利 所有権
    総戸数 4戸
    私道負担 - 用途地域 第一種低層住居専用地域
    地目 宅地 施工会社 -
    情報掲載開始日 2026年2月20日 情報更新日 2026年2月20日
    取引条件有効期限 2026年6月29日 次回更新予定日 2026年3月6日

    ローンシミュレーション

    頭金、借入期間、金利から毎月の住宅ローンお支払い額の目安を試算します。ご希望の条件に変更してご利用ください。

    物件価格の初期値は最低値を設定しております。実際にローン契約をする際は、詳細を不動産会社にご確認ください。

    万円
    万円
    %

    ※頭金や金利、借入期間によって支払う金額は変わります。

    ※物件購入時には、物件価格の他に諸費用がかかります。

    =
    月々のお支払い目安
    元金
    万円/月
    金利
    万円/月
    お支払い目安
    万円/月

    お問い合わせ

    ご覧いただいている物件の住宅ローンや実際にかかる諸費用、資金計画などのご相談ができます。

    不動産会社へのお問い合わせ

    東宝ハウスライフソリューションズグループ(株)東宝ハウス町田営業3課

    この物件のアピールポイント

    □小田急線「百合ヶ丘」徒歩16分 □毎日のお買い物が身近で便利な暮らし!  スーパー 徒歩13分、コンビニ 徒歩4分、ドラッグストア 徒歩3分 □毎日の通学も安心!  小学校 徒歩8分、中学校 徒歩14分 ■洗練されたデザインと機能性を兼ね備えた、こだわりの住まい! ■2方向に開けた開放感と、優れた採光・通風が魅力の角地 □思い出も大切にしまえる「ウォークインクローゼット」 □家事時短の強い味方「食器洗乾燥機」 □来客時や自転車置き場としても活躍「カースペース2台」

    この物件の価格

    5480万円~6380万円

    • 会社名:株式会社東宝ハウス町田  営業3課
    • 住所:東京都町田市森野1-31-10
    • 電話:0120-806013
      ※物件のお問い合わせは042-739-6013
    • 取引態様:東宝ハウスライフソリューションズグループ(株)東宝ハウス町田営業3課<仲介>
    • 免許番号:東京都知事 (4) 第 76363 号
    • 不動産団体名:(公社)東京都宅地建物取引業協会
    • 売主:-
    • 売主免許番号:-
    • 関連サイト:-
    資料請求する無料 見学予約する無料

    ※LIFULL HOME'Sの資料請求ページに移動します

    他の物件も見てみる

    • 完成後1年を経過している未入居物件が掲載されている場合があります。
    • 販売住戸が複数の物件は、全ての住戸に該当しない項目もあります。各問い合わせ先にご確認ください。
    • 「建築条件付き土地」とは、一定期間内(概ね3ヶ月程度)に特定の建設会社と建築請負契約を結ぶことを 条件にしている宅地のことです。
    • 建物の内容は、土地購入者の自由意思により決定可能で、土地売買契約後、 建築請負会社と購入した土地に建設する建物について協議することになります。
    • 期間内に建築請負契約が成立しなければ売買契約は白紙となり、支払済みの金銭はすべて返却されます。
    • 「建築条件付き土地」の価格には、建物価格は含まれません。
    • 「建築条件付き土地」の「建物プラン例」は、土地購入者の設計プランの一例であり、プランの採用可否は任意です。
    • 「土地(建築条件なし)」の「建物プラン例」に関して、そのプラン例は特定の建築請負会社によるもので、当該建築請負会社以外で建てた場合、同様のものが同価格で建てられるとは限りません。また、建築請負会社を特定するものではありません。
    • 消費税および地方消費税の対象となる場合は税込み価格が表示されています。
    • 物件の写真やイラスト、CGなどは実際と異なる場合があります。
    • 市区町村の合併などにより、地図が表示されない場合があります。ご了承ください。
    • お客様が入力する個人情報を含むお問い合わせデータは、LIFULL HOME'Sを経由して当該物件情報の取扱会社に転送されます。
    • 不動産購入の検討、契約にあたってはお客様ご自身が情報を確認し、各会社より十分な説明を受け判断してください。
    • 本ページの掲載内容は変更される場合があります。あらかじめご了承ください。
    ページトップへ