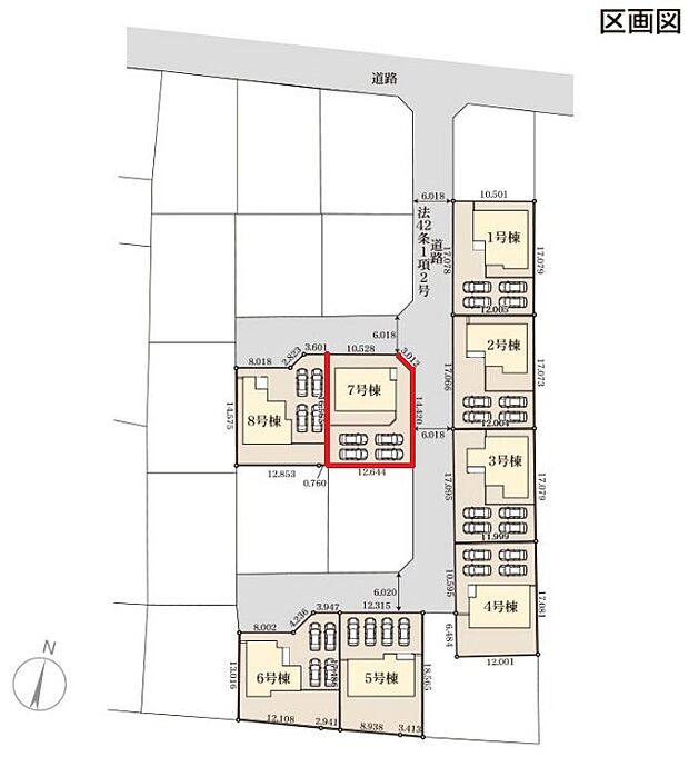
全8棟 かすみがうら市下稲吉2期 7号棟

新築仲介一戸建て
所在地 茨城県かすみがうら市下稲吉
交通
  • JR常磐線「神立」駅まで 徒歩 22分
  • 価格 2,890万円
    • 物件情報
    • 地図・周辺情報
    • 間取り 4SLDK
      土地面積 207.17m2(公簿)
      建物面積 112.62m2(壁芯)
      建物階 地上2階
      完成時期
      • 2026年 3月
    • お家探しは地域密着型のアオキにお任せください!
    • 2890万円、4LDK、土地面積207.17m2、建物面積112.62m2 4LDK 5人家族でも楽々暮らせる間取り♪
    • 駐車場はお車4台が集約できる広々としたお庭です♪
    • ●同間取写真 浴室暖房換気乾燥機 暖房・涼風・換気など快適な機能を備えました。
    • ●同間取写真 18.75帖の広々としたリビングが家族全員が集まっても苦しくなくゆったりとした空間を生み出します♪
    • ●同間取写真 収納が豊富なシステムキッチンです♪
    • 翌朝にはカラッと●同間取写真 乾いてお手入れもラクラクです。
    • ●同間取写真 シンプルなシャワートイレです。手すりが付いており、老後も安心してご利用いただけます。
    • ●同間取写真 デザインに拘っただけでなくミラーキャビネットの中には収納ボックスがたくさんございます♪
    • ●同間取写真 主寝室 7帖以上の広々寝室。ご家族やご夫婦でご活用されても丁度いい広々間取りです。
    • ファミリーマート千代田工業団地店(470m)
    • カワチ薬品 千代田店(751m)
    • かすみがうら市立下稲吉中学校(1500m)
    • 千代田下稲吉郵便局(1314m)
    • かすみがうら市立下稲吉小学校(950m)
    • ●同間取写真 ガラスラインのあるドアを設置。光を吸収し一日中明るい玄関となります♪
    • ●同間取写真 お子様が巣立った後の事も考え5.25帖のコンパクトな部屋が主流になってきました。
    • ●同間取写真 お子様のお部屋にはクローゼット、ご夫婦のお部屋にはWICが設置されております♪
    • ●同間取写真 ガラスラインのあるドアを設置。光を吸収し一日中明るい玄関となります♪
    • ●同間取写真 シンプルな扉割とまっすぐに伸びた水平ラインが美しく無駄の無い空間を生み出します。
    • ●同間取写真 バルコニー 主寝室とお子様部屋にそれぞれバルコニーを設置、洗濯物やお布団干しに活用いただけます♪
    • 一建設では2024年4月1日以降の確認取得物件は全現場がZEH水準達成しています。
    • ●同間取写真 外水栓 洗車も楽々♪
    • ◆選べるご成約特典◆

    住みやすさ

    神立の住みやすさの採点分布

           
    ココが住みやすい!
    • 駅近くの賃貸の物件も多く料金もお手軽価格で広い部屋に住める。駅付近には居酒屋があるので飲んでから帰れるし、コンビニも近いので…
    • 田舎なので騒音に悩まされることなく、季節の移り変わりや気候の移り変わりを感じることができるのが好きです。
    • 車で20分圏内で、本屋、コンビニ、ごはん屋、美容室、スーパー、病院、学校、全て揃ってる。足りないものといえば、これといった名…
    ※住みやすさに関する評点は、単純平均ではなく当社独自の集計方法を加え算出しています。

    販売概要

    販売戸数 1戸 最多価格帯 -
    販売価格 2,890万円
    土地面積 207.17m2(公簿)
    建物面積 112.62m2(壁芯)
    建物状況 新築 建物現況 未完成
    土地状況 - 最適用途 -
    建築条件備考 - 構造・工法
    • 木造
    間取り 4SLDK
    間取り内訳:リビングダイニングキッチン 18.7帖(1階)・洋室 7帖(2階)・洋室 5.2帖(2階)・洋室 4.7帖(2階)・洋室 4.7帖(2階)
    建物階 地上2階
    建ぺい率 / 容積率 50% / 100%
    接道
    接道状況:
    二方(角地)
    接道詳細:
    • 南 (公道 幅員 6.00m 接面 -)
    • 西 (公道 幅員 6.00m 接面 -)
    駐車場・車庫
    • 3台
    • 駐車場料金:無料
    完成時期
    • 2026年 3月
    引渡し可能時期
    • 2026年4月上旬 期日指定
    その他諸費用 -
    こだわり条件
    • コンロ三口
    • ウォークインクローゼット
    • TVモニタ付インターホン
    • カウンターキッチン
    • 浴室乾燥機
    • 全居室収納
    • 設計住宅性能評価付き
    • 建設住宅性能評価書(新築時)
    • BELS/省エネ基準適合認定建築物
    • 角地
    • 駐車場2台以上
    • 低層住宅地
    備考
    • 物件種目:戸建
    • 主たる設備概要:-
    • 上水道:公営
    • 下水道:本下水
    • ガス・オール電化:プロパンガス
    • セットバック:無
    • 国土法:不要
    • 建築確認番号:第25UDI1W建010639号
    • 都市計画:市街化区域
    • 主要採光面:西
    • 最寄り小学校名:かすみがうら市立下稲吉小学校
    • 最寄り小学校までの距離:950m
    • 最寄り中学校名:かすみがうら市立下稲吉中学校
    • 最寄り中学校までの距離:1,500m
    • その他施設名:千代田下稲吉郵便局
    • その他施設までの距離:1,314m
    • 近隣のドラッグストアまでの距離:751m
    • 近隣のコンビニまでの距離:470m
    • 地勢:平坦
    • 備考欄:将来、家賃を払い続けると大きな負担に。現在の平均年金は月14万円ほど、家賃5万円なら約35%が家賃に。今のうちにマイホームを持つことで、老後の生活がぐっと安心に。無理のない資金計画もご相談ください。【住宅ローン】借入限度額や自分に合った支払い額を知りたい方、お家探しの前に資金計画を立てたい方、住替えをお考えの方、他社で断られた方…ぜひ一度ご相談ください。
    関連サイト -

    省エネ性能

    この物件の省エネ性能がわかる「省エネ性能ラベル」です。省エネ性能ラベルは2024年4月以降に建築確認申請した物件などで表示しています。

    ※「省エネ性能ラベル」は特定の住戸の性能を示し、全ての住戸の性能を示していない場合があります。

    省エネ性能ラベル
    一建設では2024年4月1日以降の確認取得物件は全現場がZEH水準達成しています。

    全体概要

    所在地 茨城県かすみがうら市下稲吉
    交通
    • JR常磐線「神立」駅まで 徒歩 22分
    土地の権利 所有権
    総戸数 -
    私道負担 - 用途地域 第一種低層住居専用地域
    地目 宅地 施工会社 -
    情報掲載開始日 2026年1月29日 情報更新日 2026年2月12日
    取引条件有効期限 2026年2月26日 次回更新予定日 -

    ローンシミュレーション

    頭金、借入期間、金利から毎月の住宅ローンお支払い額の目安を試算します。ご希望の条件に変更してご利用ください。

    物件価格の初期値は最低値を設定しております。実際にローン契約をする際は、詳細を不動産会社にご確認ください。

    万円
    万円
    %

    ※頭金や金利、借入期間によって支払う金額は変わります。

    ※物件購入時には、物件価格の他に諸費用がかかります。

    =
    月々のお支払い目安
    元金
    万円/月
    金利
    万円/月
    お支払い目安
    万円/月

    お問い合わせ

    ご覧いただいている物件の住宅ローンや実際にかかる諸費用、資金計画などのご相談ができます。

    不動産会社へのお問い合わせ

    アオキ株式会社

    この物件のアピールポイント

    【新規オープンしました♪】※石岡市の完成物件を当日ご案内可能です♪パントリー付き♪4LDKで2階

    この物件の価格

    2,890万円

    • 会社名:アオキ株式会社
    • 住所:茨城県石岡市杉並1丁目7-16
    • 電話:0299-27-5571
    • 交通:JR常磐線「石岡」駅まで 徒歩 18分
    • 取引態様:媒介
    • 免許番号:茨城県知事(03)第006944号
    • 不動産団体名:(公社)首都圏不動産公正取引協議会、(公社)茨城県宅地建物取引業協会
    • 保証協会:(公社)全国宅地建物取引業保証協会
    • 売主:-
    • 売主免許番号:-
    • 関連サイト:-

    お電話でのお問い合わせはこちら(取り扱い不動産会社に直接つながります)

    電話をかける(携帯電話・PHSでも可)

    1電話番号を入力する

    0037-619-27555

    お問い合わせ先

    アオキ株式会社

    2音声案内に従い、以下の番号を入力

    お問い合わせ番号 92000-3196

    不動産会社につながります

    不動産会社のスタッフと
    直接電話で話せます

    店舗スタッフ
    • お客様の電話番号は不動産会社に通知されません。
    • 光IP電話、及びIP電話からはご利用になれません。
    • 定休日や営業時間外にてお電話がつながらない場合は、お問い合わせフォームよりお問い合わせください。
    • 携帯電話からお問合せいただいた方には、ショートメッセージ(SMS)またはLINE通知メッセージによるお問い合わせ内容に関する通知を株式会社LIFULLよりお届けする場合があり、お客様の電話番号は株式会社LIFULLで一定期間保管されます。
    • 株式会社LIFULLの個人情報の取扱い方針に同意のうえ、お電話ください。
    • オーナー様・不動産会社様・現在ご入居中のお客様など、住まい探し以外のご相談はこちらからお問い合わせください。

    他の物件も見てみる

    • 完成後1年を経過している未入居物件が掲載されている場合があります。
    • 販売住戸が複数の物件は、全ての住戸に該当しない項目もあります。各問い合わせ先にご確認ください。
    • 「建築条件付き土地」とは、一定期間内(概ね3ヶ月程度)に特定の建設会社と建築請負契約を結ぶことを 条件にしている宅地のことです。
    • 建物の内容は、土地購入者の自由意思により決定可能で、土地売買契約後、 建築請負会社と購入した土地に建設する建物について協議することになります。
    • 期間内に建築請負契約が成立しなければ売買契約は白紙となり、支払済みの金銭はすべて返却されます。
    • 「建築条件付き土地」の価格には、建物価格は含まれません。
    • 「建築条件付き土地」の「建物プラン例」は、土地購入者の設計プランの一例であり、プランの採用可否は任意です。
    • 「土地(建築条件なし)」の「建物プラン例」に関して、そのプラン例は特定の建築請負会社によるもので、当該建築請負会社以外で建てた場合、同様のものが同価格で建てられるとは限りません。また、建築請負会社を特定するものではありません。
    • 消費税および地方消費税の対象となる場合は税込み価格が表示されています。
    • 物件の写真やイラスト、CGなどは実際と異なる場合があります。
    • 市区町村の合併などにより、地図が表示されない場合があります。ご了承ください。
    • お客様が入力する個人情報を含むお問い合わせデータは、LIFULL HOME'Sを経由して当該物件情報の取扱会社に転送されます。
    • 不動産購入の検討、契約にあたってはお客様ご自身が情報を確認し、各会社より十分な説明を受け判断してください。
    • 本ページの掲載内容は変更される場合があります。あらかじめご了承ください。
    ページトップへ